Version: 8.24.0Navigation überspringen
248.400 €
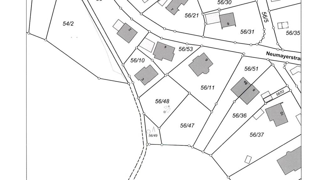
621 m² Grundstück
Immowelt logo

Grundstück zum Kauf
248400 €
400 €/m²
621 m² Grundstück

Ruhig gelegenes Baugrundstück - Mit Hanglage in Siegsdorf

Das 621 m² große Hanggrundstu¨ck liegt in ruhiger Lage mit
Nordost Ausrichtung. Die Neigung am Hang entspircht ca: 10% bis 20 %.

Der Bebauungsplan sieht eine Bebauung mit einer Doppelhaushälfte vor. Sollte eine andere Bebauung in Betracht
gezogen werden, können evtl. die Grundzu¨ge der Planung
beru¨hrt werden. Somit ist eine Änderung vom Bebauungsplan nötig. Laut Gemeinde Siegsdorf beträgt die Dauer hierfür ca. 2. Jahre.

Erschließung (Laut Gemeine Siegsdorf):
Beiträge nach Entwässerungssatzung (Bescheid vom 21.03.1977):
Grundstücksfläche: abgegolten
Geschoßfläche: 255.

Beiträge nach Wasserversorgungssatzung:
Es wurden keine Beiträge erhoben, da ein Anschluss an die
zentrale Wasserversorgung der Gemeinde faktisch noch nicht
möglich ist. Hierfür müsste erst die Versorgungsleitung entsprechend
verlängert werden.

Straßenerschließung:
Durch die Bebauung der o. g. Grundstücke ist evtl. eine
Erschließung des Lichtsberger Weges erforderlich. Hier kämen dann Erschließungsbeiträge auf die anliegenden Grundstückseigentümer zu.
Es müssten 90 % der anrechenbaren Kosten umgelegt werden.

Merkmale

  • 621 m² Grundstück
  • Bergblick, Fernblick
  • unerschlossen
  • Wasser

Realisiere Dein Projekt

Bausubstanz und Energie

Der Anbieter hat keine Informationen zu Energieverbrauch oder Zustand der Immobilie bereit gestellt.
Immowelt logo

Preisdetails

Kaufpreis
248400 €
400 €/m²
Provision für Käufer
Provision für Käufer 3,57% inkl. 19% MwSt, diese ist bei notariellem Vertragsabschluss verdient und fällig.
Es liegt uns ein Makler-Allein-Auftrag vor.
Geschätzte Gesamtkosten
257.268 €1
Kaufpreis
248.400 €
Provision für Käufer (3,57%)
8.868 €
1Der angezeigte Wert ist eine automatisch berechnete Schätzung von immowelt.
2Bei den Angaben handelt es sich um ortsübliche Werte. Individuelle Kosten können abweichen.

Lage

address-icon
ScharamSiegsdorf (83313)
Der Anbieter hat die genaue Adresse nicht freigegeben
Das Baugrundstu¨ck befindet sich in schöner ruhiger Lage oberhalb vom Siegsdorfer Ortskern. Die Gemeinde Siegsdorf liegt im Landkreis Traunstein - im Herzen des Chiemgaus.

Sehr schön ist die Nähe zum angrenzenden Wäldchen mit einem
Wanderweg zur bekannten Wallfahrtskirche Maria Eck.

In Siegsdorf findet man alle Dinge des täglichen Bedarfs. Im Ort sind Apotheken und Ärzte, Kindergärten und Schulen auch Arbeitsplätze durch große Firmen wie unter anderem Bru¨ckner,
Nowofol, Ecolab, und Bad-Adelholzener, vorhanden.

Des Weiteren bietet die Gemeinde ein beheiztes Freibad und Tennisplätze. Ein reichhaltiges Freizeit Angebot ist für die Bewohner der Gemeinde Siegsdorf durch die landschaftliche Umgebung Sommer wie Winter geboten. Der Ort liegt an der B 306 und ist durch eine Bus- und Bahnverbindung u¨ber Siegsdorf,
Ruhpolding nach Traunstein, und München - Salzburg erstklassig
verbunden. Auch ohne Auto sind Sie hier dank der Bus- und Bahnverbindung mobil.

Weitere Informationen

Sonstiges Für weitere und ausführliche Informationen oder einen Besichtigungstermin stehen wir Ihnen jederzeit sehr gerne zur Verfügung.

Es liegt uns ein Makler-Allein-Auftrag vor.

Besichtigungen sind nur nach Abstimmung und in unserer Begleitung möglich.

Alle Angaben stammen von unserem Aufraggeber. Für Ihre Richtigkeit wird keine Haftung übernommen.

Für Planung und Baubegleitung steht Ihnen des Planungsbüro Eisenbichler gerne zur Verfügung.

Weitere Services

Lust auf eine Besichtigung?
Eine Frage zur Immobilie?
Nachricht hinzufügen
Mit der Nutzung der oben angegebenen Telefonnummer oder durch Klicken auf „Kontaktieren“ akzeptierst Du die Allgemeinen Nutzungsbedingungen, denen Du jederzeit widersprechen kannst. Weitere Informationen zum Datenschutz

Über den Anbieter

Molbertiger Straße 21, 83313 Siegsdorf
partner badge
Partnerschaft
Frau Christine EisenbichlerDein Kontakt

Weitere Unterlagen

Online-ID: 2bctn5m
Referenznummer: 77189931
Stefan Eisenbichler
Stefan Eisenbichler
Bewertung: 4,4 von 5 Sternen
Nachricht hinzufügen
Mit der Nutzung der oben angegebenen Telefonnummer oder durch Klicken auf „Kontaktieren“ akzeptierst Du die Allgemeinen Nutzungsbedingungen, denen Du jederzeit widersprechen kannst. Weitere Informationen zum Datenschutz
Wie zufrieden bist du mit dieser Seite (nicht mit der Immobilie selbst)?