Version: 8.26.0Navigation überspringen
79.000 €
1.532 m² Grundstück
Immowelt logo

Grundstück zum Kauf
79000 €
51,57 €/m²
1.532 m² Grundstück

Großzügiges Baugrundstück im Ortskern

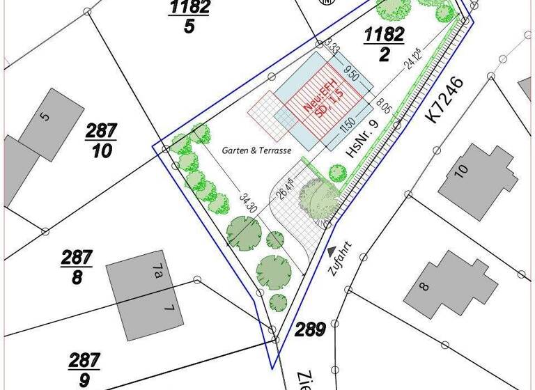
Verkauft wird ein Baugrundstück in zentraler Lage von Schirgiswalde-Kirschau. Mit einer Grundstücksfläche von ca. 1.532 m² bietet es eine attraktive Größe, um den Traum vom Eigenheim zu verwirklichen.

Ein Bebauungsplan besteht nicht. Der Flächennutzungsplan weist das Grundstück als Mischgebiet aus. Eine ortsübliche Bebauung mit einem Einfamilienhaus ist entsprechend § 34 BauGB nach unverbindlicher Auskunft der Stadt grundsätzlich möglich.

"Innerhalb der im Zusammenhang bebauten Ortsteile ist ein Vorhaben zulässig, wenn es sich nach Art und Maß der baulichen Nutzung, der Bauweise und der Grundstücksfläche, die überbaut werden soll, in die Eigenart der näheren Umgebung einfügt und die Erschließung gesichert ist. Die Anforderungen an gesunde Wohn- und Arbeitsverhältnisse müssen gewahrt bleiben; das Ortsbild darf nicht beeinträchtigt werden."

Als weiteres Antragsverfahren ist das vereinfachte Baugenehmigungsverfahren gemäß § 63 SächsBO vorgesehen.

Die Erschließung mit Medien ist gesichert. Das Grundstück ist aktuell mit einem kleinen Freizeitbungalow bebaut. Die Nachbarbebauung ist geprägt von Einfamilienhäusern in offener Bauweise mit ein bis zwei Vollgeschossen sowie Satteldächern.

Merkmale

  • 1.532 m² Grundstück
  • voll erschlossen

Grundrisse

Grundrisse
1 / 5
Immowelt logo

Preisdetails

Kaufpreis
79000 €
51,57 €/m²
Provision für Käufer
2,98% inkl. MwSt.
Geschätzte Gesamtkosten
81.354 €1
Kaufpreis
79.000 €
Provision für Käufer (2,98%)
2.354 €
1Der angezeigte Wert ist eine automatisch berechnete Schätzung von immowelt.
2Bei den Angaben handelt es sich um ortsübliche Werte. Individuelle Kosten können abweichen.

Lage

address-icon
SchirgiswaldeSchirgiswalde-Kirschau (02681)
Der Anbieter hat die genaue Adresse nicht freigegeben
Das Grundstück befindet sich in Schirgiswalde-Kirschau, etwa 10 km südlich der Kreisstadt Bautzen. Eingebettet in die Berge des Oberlausitzer Berglandes ist der Ort mit rund 2.400 Einwohnern infrastrukturell und verkehrstechnisch sehr gut erschlossen. Die Bahnhaltestelle ist rund 150m Luftlinie vom Grundstück entfernt.

Vielfältige Möglichkeiten für Kultur, Sport, Erholung und Einkauf sind sowohl vor Ort als auch in unmittelbarer Umgebung vorhanden. Durch die nahe Anbindung an die Autobahn A4 erreicht man die Landeshauptstadt Dresden in ca. 60 Minuten.

Schirgiswalde-Kirschau ist zudem überregional bekannt für ein aktives Vereinsleben, das einzigartige Wohlfühlhotel "Bei Schuhmann" sowie die Körse-Therme. Kindergärten, Ärztehäuser und eine Grundschule sind im Ort vorhanden. Weiterführende Schulen befinden sich im Nachbarort Wilthen oder in Bautzen.
Geschäfte des täglichen Bedarfs sind teilweise auch fußläufig erreichbar.

Weitere Informationen

Sonstiges Der Verkauf erfolgt freihändig im direkten Auftrag des Eigentümers.
Alle Angaben, Flächenmaße, Darstellungen und Preisangaben basieren auf Informationen vom Eigentümer oder von Dritten, die zur Verfügung gestellt wurden. Eine Gewähr für deren Richtigkeit, Vollständigkeit und Aktualität kann nicht übernommen werden. Änderungen, Irrtümer und ein zwischenzeitlicher Verkauf bleiben vorbehalten.

Die im Exposé angegebene Käuferprovision wird im Erfolgsfall fällig und errechnet sich aus dem beurkundeten Kaufpreis. Rechtsgrundlage ist ausschließlich der notariell abgeschlossene Kaufvertrag.

Besichtigungen sind nach vorheriger Terminabsprache möglich. Bitte haben Sie Verständnis, dass nur schriftliche Anfragen mit vollständigen Kontaktdaten (Name, Anschrift, Telefonnummer) beantwortet werden können. Stichworte Distanz zur nächsten Einkaufsmöglichkeit: 3.12, Distanz zum Hauptbahnhof: 0.32, Distanz zum Bus: 0.12, Distanz zur nächsten Gaststätte: 0.09

Weitere Services

Lust auf eine Besichtigung?
Eine Frage zur Immobilie?
Nachricht hinzufügen
Mit der Nutzung der oben angegebenen Telefonnummer oder durch Klicken auf „Kontaktieren“ akzeptierst Du die Allgemeinen Nutzungsbedingungen, denen Du jederzeit widersprechen kannst. Weitere Informationen zum Datenschutz

Über den Anbieter

August-Bebel-Str. 8, 02625 Bautzen
partner badge
Partnerschaft
Herr Petr Meißner
Herr Petr MeißnerDein Kontakt
Online-ID: 25KYJZ7S6C5A
Referenznummer: MPI-122
Wie zufrieden bist du mit dieser Seite (nicht mit der Immobilie selbst)?