Version: 8.25.1Navigation überspringen
995.000 €
2.550 m² Grundstück
Immowelt logo

Grundstück zum Kauf
995000 €
390 €/m²
2.550 m² Grundstück

Attraktives Baugrundstück für DHH oder EFH`S

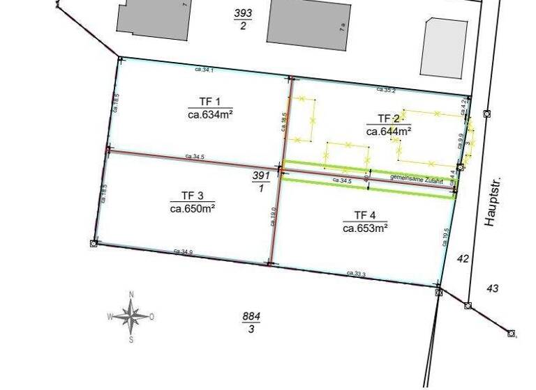
Zum Verkauf steht ein schönes Baugrundstück, welches knapp 2.550qm misst. Der Erwerber hat die Möglichkeit das gesamte Grundstück oder eine noch zu vermessene Teilfläche mit zu erwerben. Hälftig- oder Viertelteilflächenerwerb möglich. Die Teilungskosten tragen alle Teilflächenerwerber gemeinsam. Diese liegen laut aktuellem Angebot pro Teilfläche bei ca. 2.200,00€ bei 4 Teilflächen.

Folgende Grundstücksgrößen sind verfügbar:
- Teilfläche 1 - 634qm
- Teilfläche 2 - 644qm (mit Wohnhaus)
- Teilfläche 3 - 650qm
- Teilfläche 4 - 653qm
Der Kaufpreis liegt bei 400,00€/qm

Die Bebauung ist nach §34 d.h. Nachbarschaftsbebauung möglich:

- Jede Teilfläche kann mit einen Einfamilienhaus, einer Doppelhaushälfte oder einem Zweifamilienhaus bebaut werden
- max. II Vollgeschosse

Folgende Altlasten befinden sich dem vorderen rechten Grundstücksviertel:
- massives Einfamilienhauses, Baujahr: 1870 saniert: 1993, 1,5 Vollgeschosse Wohnfläche ca. 160qm, teil unterkellert
- Remise
- Nebengelass
Das Wohnhaus kann saniert und modernisiert werden und bietet eine solide Grundsubstanz.

Folgende Medien liegen an der Straße:
- Wasser
- Abwasser
- Strom
- Gas

Merkmale

  • Bezug: ab sofort
  • 2.550 m² Grundstück

Grundrisse

Grundrisse
1 / 1

Realisiere Dein Projekt

Bausubstanz und Energie

Möchtest du Details zum Energieverbrauch?info_energy_calculation-icon
Immowelt logo

Preisdetails

Kaufpreis
995000 €
390,20 €/m²
Provision für Käufer
7,14% inkl. MwSt.
Der Käufer hat an uns eine Provision in Höhe von 7,14% des Kaufpreises inklusive Mehrwertsteuer zu zahlen. Die Provision ist nach Abschluss des beurkundeten Kaufvertrages.
Geschätzte Gesamtkosten
1.066.043 €1
Kaufpreis
995.000 €
Provision für Käufer (7,14%)
71.043 €
1Der angezeigte Wert ist eine automatisch berechnete Schätzung von immowelt.
2Bei den Angaben handelt es sich um ortsübliche Werte. Individuelle Kosten können abweichen.

Lage

address-icon
Birkenwerder (16547)
Der Anbieter hat die genaue Adresse nicht freigegeben
Das Grundstück befindet sich in Birkenwerder im grünen Mühlenbecker Land gelegen an der Hauptstraße.
Die Nachbarbebauung ist ausschließlich von Einfamilienhäusern geprägt. Einkaufsmöglichkeiten, Schulen, Kitas und Einrichtungen zur medizinischen Versorgung sind zahlreich in der nahen Umgebung gelegen. Auch die Anbindung an den öffentlichen Nahverkehr ist gegeben. Birkenwerder bietet einen S- und Regionalbahnanschluss. Der Autobahnzubringer Birkenwerder ist in 5 Minuten erreicht.
Die Lage eignet sich auch optimal für Pendler nach Berlin, welche abends gerne noch die Natur genießen. In ca. 35 Minuten erreicht man das Berliner Zentrum. Auch die Verbindung mit den öffentlichen Verkehrsmitteln nach Berlin ist gegeben.

Weitere Informationen

Stichworte Grundstücksfront: 38,00 m

Weitere Services

Lust auf eine Besichtigung?
Eine Frage zur Immobilie?
Nachricht hinzufügen
Mit der Nutzung der oben angegebenen Telefonnummer oder durch Klicken auf „Kontaktieren“ akzeptierst Du die Allgemeinen Nutzungsbedingungen, denen Du jederzeit widersprechen kannst. Weitere Informationen zum Datenschutz

Über den Anbieter

Prenzlauer Str. 24, 16348 Wandlitz
Frau Corinna Gregersen
Frau Corinna GregersenDein Kontakt
Online-ID: 25611RGXMDLW
Referenznummer: 7629#8fZcVz
Immobilita e.K.
title
Immobilita e.K.
Bewertung: 4,1 von 5 Sternen
Nachricht hinzufügen
Mit der Nutzung der oben angegebenen Telefonnummer oder durch Klicken auf „Kontaktieren“ akzeptierst Du die Allgemeinen Nutzungsbedingungen, denen Du jederzeit widersprechen kannst. Weitere Informationen zum Datenschutz
Wie zufrieden bist du mit dieser Seite (nicht mit der Immobilie selbst)?