Version: 8.25.1Navigation überspringen
448.250 €
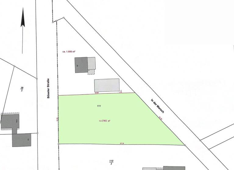
2.965 m² Grundstück  •  frei ab sofort
Immowelt logo

Grundstück zum Kauf
448250 €
151 €/m²
2.965 m² Grundstück  •  frei ab sofort

Attraktives Baugrundstück im Grünen - teilbar, mit positivem Bauvorbescheid!

Kurzbeschreibung - besondere Gelegenheit am Rand von Garrel
- Grundstück mit viel Potenzial
- Grundstücksteilung möglich
- Eigenbedarf oder Geldanlage Objekt Dieses Grundstück bietet Ihnen viele Möglichkeiten!
Das Grundstück befindet sich im Außenbereich, wird jedoch als Baulücke gemäß § 34 BauGB eingestuft. Für das Grundstück liegt ein positiver Bauvorbescheid zur Errichtung von zwei Wohngebäuden mit Nebengebäuden vor.
Die Zufahrt muss über die Straße "In der Marsch" erfolgen. Die Wohngebäude müssen in einer Flucht mit den derzeit an der Straße "In der Marsch" vorhandenen Wohngebäude stehen. Die im Zuge der Bebauung neu zu bildenden Grundstücke sind noch zu erschließen.
Die beiden Wohngebäude können in den folgenden Varianten realisiert werden:

a).
Errichtung von 2 Wohnhäusern mit jeweils einer Wohneinheit und Garage:
- max. 156,00 m² Wohnfläche/Wohnhaus
- max. 60,00 m² für die Garage/Wohnhaus
b).
Errichtung von zwei Wohnhäusern mit je zwei Wohneinheiten mit je einer Garage
- max. 240,00 m² Wohnfläche/Wohnhaus (die Wohnungen dürfen nicht gleich
groß sein).
- max. 120,00 m² für 2 Garagen
- keine Reihenhäuser möglich
- Doppelhaus nur möglich, wenn die Garagen nicht als Verbindungsbau genutzt
werden
c). Errichtung von einem Wohnhaus mit einer Wohneinheit und Garage und die Errichtung von einem weiteren Wohnhaus mit zwei Wohneinheiten und zwei Garagen - siehe a). und b). .

Selbstverständlich können Sie dieses besondere Grundstück auch nutzen, um Ihren privaten Wohntraum zu verwirklichen. Wir empfehlen Ihnen, Ihr Bauvorhaben im Rahmen einer Bauvoranfrage mit dem Landkreis Cloppenburg und der Gemeinde Garrel abzustimmen. So erhalten Sie frühzeitig Klarheit über die konkreten Möglichkeiten und Anforderungen.

Eine Grundstücksteilung ist möglich.

Merkmale

  • frei ab sofort
  • 2.965 m² Grundstück

Grundrisse

Grundrisse
1 / 1

Realisiere Dein Projekt

Bausubstanz und Energie

Möchtest du Details zum Energieverbrauch?info_energy_calculation-icon
Immowelt logo

Preisdetails

Kaufpreis
448250 €
151,18 €/m²
Provision für Käufer
4,76 % inkl. MwSt.
Geschätzte Gesamtkosten
469.587 €1
Kaufpreis
448.250 €
Provision für Käufer (4,76%)
21.337 €
1Der angezeigte Wert ist eine automatisch berechnete Schätzung von immowelt.
2Bei den Angaben handelt es sich um ortsübliche Werte. Individuelle Kosten können abweichen.

Lage

address-icon
Garrel (49681)
Der Anbieter hat die genaue Adresse nicht freigegeben
Sie wohnen am Ortsrand von Garrel, ca. 1,8 km vom Zentrum Garrels entfernt. Die familienfreundliche Gemeinde Garrel zählt rd. 15.000 Einwohner und bietet Ihnen neben umfangreichen Einkaufs- und Freizeitmöglichkeiten hervorragende Gastronomie. Ärzte und Apotheken sowie Kindergärten, Krippen und Schulen befinden sich ebenfalls direkt vor Ort.
Die Kreisstadt Cloppenburg liegt 13 km und die Stadt Oldenburg 38 km entfernt. Die B72 ist in 7 km und die A28/A29/A1 in 11 km erreicht.

Weitere Informationen

Stichworte Bundesland: Niedersachsen

Weitere Services

Lust auf eine Besichtigung?
Eine Frage zur Immobilie?
Nachricht hinzufügen
Mit der Nutzung der oben angegebenen Telefonnummer oder durch Klicken auf „Kontaktieren“ akzeptierst Du die Allgemeinen Nutzungsbedingungen, denen Du jederzeit widersprechen kannst. Weitere Informationen zum Datenschutz

Über den Anbieter

Hauptstr. 43, 49681 Garrel
partner badge
10 Jahre Partnerschaft
Frau Cornelia Fleming
Frau Cornelia FlemingDein Kontakt
Online-ID: 25TPJ7R5BN38
Referenznummer: 001330
VR-Bank in Südoldenburg eG
title
VR-Bank in Südoldenburg eG
Nachricht hinzufügen
Mit der Nutzung der oben angegebenen Telefonnummer oder durch Klicken auf „Kontaktieren“ akzeptierst Du die Allgemeinen Nutzungsbedingungen, denen Du jederzeit widersprechen kannst. Weitere Informationen zum Datenschutz
Wie zufrieden bist du mit dieser Seite (nicht mit der Immobilie selbst)?