

Grundstück zum Kauf • provisionsfrei71000 €101 €/m²700 m² Grundstück
71000 €
101 €/m²
700 m² Grundstück
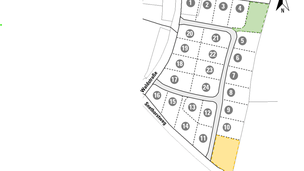
24 Baugrundstücke in idyllischer Lage in Dithmarschen ab 90 €/m² - provisionsfrei
Merkmale
- 700 m² Grundstück
Grundrisse
Verschaffe dir einen genauen Überblick über die Raumaufteilung.

Realisiere Dein Projekt
Bausubstanz und Energie
Möchtest du Details zum Energieverbrauch?

Preisdetails
Kaufpreis
71000 €
101,43 €/m²
Provision für Käufer
provisionsfrei
Geschätzte Gesamtkosten
71.000 €1
Kaufpreis
71.000 €
1Der angezeigte Wert ist eine automatisch berechnete Schätzung von immowelt.
Lage

Waldstr. 1, Bunsoh (25767)
Weitere Services
Lust auf eine Besichtigung?
Eine Frage zur Immobilie?
Über den Eigentümer
JessicaPrivater Anbieter
Online-ID: 251I9BKIDXK5
Jessica
Wie zufrieden bist du mit dieser Seite (nicht mit der Immobilie selbst)?

