

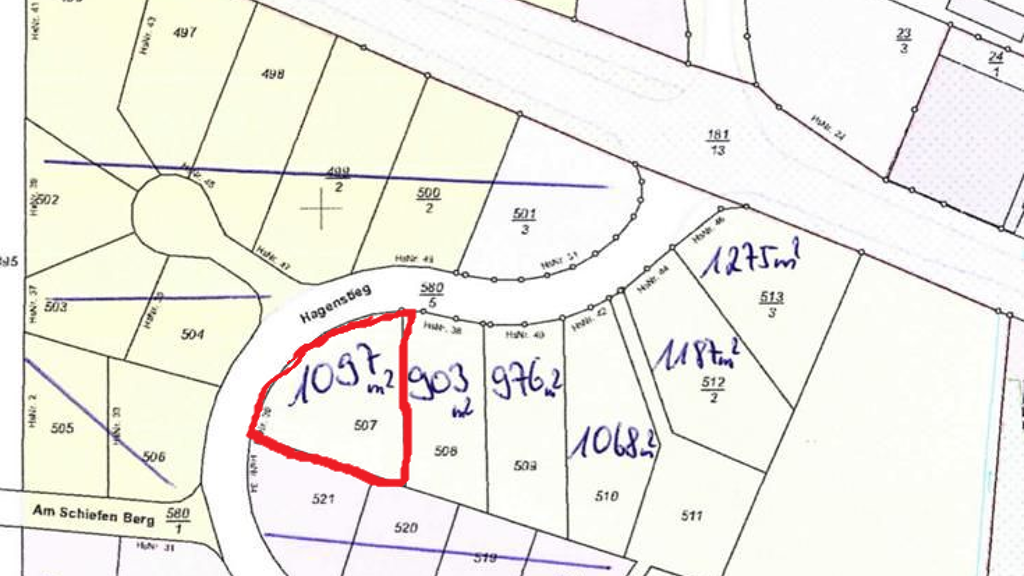
Grundstück zum Kauf • provisionsfrei55000 €50,14 €/m²1.097 m² Grundstück
55000 €
50,14 €/m²
1.097 m² Grundstück
Erschlossenes Baugrundstück in Katlenburg - 1097qm
Merkmale
- 1.097 m² Grundstück
Grundrisse
Verschaffe dir einen genauen Überblick über die Raumaufteilung.

Realisiere Dein Projekt
Bausubstanz und Energie
Möchtest du Details zum Energieverbrauch?

Preisdetails
Kaufpreis
55000 €
50,14 €/m²
Provision für Käufer
provisionsfrei
Geschätzte Gesamtkosten
55.000 €1
Kaufpreis
55.000 €
1Der angezeigte Wert ist eine automatisch berechnete Schätzung von immowelt.
Lage

Hagenstieg 38, Katlenburg, Katlenburg-Lindau (37191)
Weitere Services
Lust auf eine Besichtigung?
Eine Frage zur Immobilie?
Über den Eigentümer
Privater Anbieter
Keine Telefonnummer hinterlegt
Keine Telefonnummer hinterlegt
Online-ID: 2654CMLM396E
Privater Anbieter
Wie zufrieden bist du mit dieser Seite (nicht mit der Immobilie selbst)?
