




Land-/Forstwirtschaft zur MieteMietkosten auf Anfrage67.667 m² Grundstück
Mietkosten auf Anfrage
67.667 m² Grundstück
Acker-Grünlandfläche in der Nähe von Waren-Müritz zu verpachten
Merkmale
- Bezug: sofort
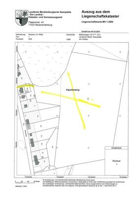
- 67.667 m² Grundstück
Grundrisse
Grundrisse
1 / 2
Realisiere Dein Projekt
Bausubstanz und Energie
Der Anbieter hat keine Informationen zu Energieverbrauch oder Zustand der Immobilie bereit gestellt.
Mietkosten
Miete auf Anfrage
Provision für Mieter
Bitte beachte, das Angebot kann bei Vertragsabschluss die Zahlung einer Provision beinhalten. Weitere Informationen erhältst Du vom Anbieter.
Kaution
keine Angabe
Weitere Preisinformationen
Pacht: 60.800,00 EUR
Lage

Hofseeestr. 21, Rockow (17219)
Weitere Informationen
Weitere Services
Lust auf eine Besichtigung?
Eine Frage zur Immobilie?
Über den Anbieter
Online-ID: 2f5me5p
Referenznummer: AS074
Wie zufrieden bist du mit dieser Seite (nicht mit der Immobilie selbst)?



