
Woide Immobilien GmbH
Unternehmen Woide Immobilien GmbH GmbH
+49 ···
Nr. anzeigenPreise & Kosten
Provision für Käufer
5,95 % inkl. MwSt.
Lage
Dieses Grundstück liegt im Dreiländereck Hessen, Niedersachsen, Nordrhein-Westphalen.
Am Fuße des Solling, eingebettet in Landschaft und Natur, ist diese Region besonders bei Wanderern und Freizeitsportlern sehr beliebt.
Eine Bahnanbindung in Richtung Göttingen und Paderborn ist in wenigen Minuten zu...
Das Grundstück
Details
Objektbeschreibung
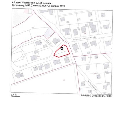
Zum Verkauf stehen zwei unbebaute Grundstücke in Derental: Grundstück 12/3 mit einer Fläche von etwa 365 m² und Grundstück 13/1 mit etwa 293 m².
Die Gesamtfläche beträgt somit ca. 658 m².
Gemäß dem Bebauungsplan liegt das Grundstück in einem allgemeinen Wohngebiet.
Die Bebauung des Grundstücks ist auf ein...
Dokumente
Anbieter der Immobilie
Woide Immobilien GmbH
Bahnhofstraße 18 , 37688 Beverungen
Online-ID: 2fl9d56
Referenznummer: 127130751#rd2Ueu
Finde Angebote wie dieses
Hier geht es zu unserem Impressum, den Allgemeinen Geschäftsbedingungen, den Hinweisen zum Datenschutz und nutzungsbasierter Online-Werbung.