Valorous GmbH

Frau Birgit Hofbauer Domin

Grundstück in Bestlage

€ 360.000
Kaufpreis
1 026 m²
Grundstücksfl. ca.
Finanzierung berechnen mit durchblicker

Der Anbieter dieses Objekts hat gegenüber der AVIV Germany GmbH als Betreiber dieses Online-Marktplatzes erklärt, nicht als Unternehmer im Sinne des § 1 KSchG zu handeln. Die im Verbraucherschutzrecht der Union verankerten Verbraucherrechte (insbesondere Informationspflichten und Rücktritts- bzw. Widerrufsrechte) finden auf den Vertrag zwischen dem Anbieter des Objekts und Ihnen (dem Interessenten) keine Anwendung.

Gewerblicher Anbieter

Der Anbieter dieses Objekts hat gegenüber der AVIV Germany GmbH als Betreiber dieses Online-Marktplatzes erklärt, als Unternehmer im Sinne des § 1 KSchG zu handeln.

AdresseAnnenhofstraße
3032 Eichgraben 
Auf Karte ansehen

Preise & Kosten

Kaufpreis € 360.000 Preis/m² € 350,88

Provision für Käufer

12.960,00 € inkl. 20% USt.

Lage

Die Gemeinde liegt im Wienerwald. Die Verkehrsanbindung an die Westbahn ist mit dem Autobahnknoten Steinhäusl optimal gegeben. Die öffentliche Anbindung erfolgt mit der Bahn. Die Station Eichgraben ist jeweils von Wien Westbahnhof und von St. Pölten aus in jeweils 30 Minuten Fahrzeit im 30 Minuten Takt erreichbar.

Die Immobilie

info

Zu diesem Angebot wurden vom Anbieter keine weiteren Daten hinterlegt. Für weitere Informationen bitte den Anbieter kontaktieren.

Nach Informationen fragen

Details

Objektbeschreibung

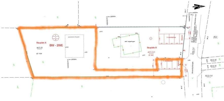
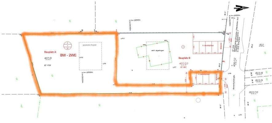
Grundstück zu verkaufen - ein Fahnengrundstück

Zum Verkauf gelangt ein unbebautes Grundstück in Eichgraben. Das Grundstück liegt an einem leichten Südhang mit guter Aussicht. Die Bebaubarkeit darf in Bauklasse I oder II offen mit maximal 2 Wohneinheiten erfolgen.

 

Bitte beachten Sie, dass wir...

Mehr anzeigen

Weitere Informationen

Stichworte
Nutzfläche: 1.026,00 m², Bundesland: Niederösterreich

Anbieter der Immobilie

Partner

Valorous GmbH

Schulhof 4, 1010 WIEN

user

Frau Birgit Hofbauer Domin

Dein Ansprechpartner

Anbieter-Website Anbieter-Profil Anbieter-Impressum

Online-ID: 2l3735f

Referenznummer: OBGC2024011112104370873d4f53d57

Finde Angebote wie dieses

imageimageimage

Günstige Immobilienfinanzierung einfach online berechnen

Persönliches Angebot berechnen

Hier geht es zu unserem Impressum, den Allgemeinen Geschäftsbedingungen, den Hinweisen zum Datenschutz und nutzungsbasierter Online-Werbung.