

Rustler Immobilientreuhand GmbH
Frau Margit Pürrer
+43 ···
Nr. anzeigenPreise & Kosten
Provision für Käufer
3%
Die Immobilie
Zu diesem Angebot wurden vom Anbieter keine weiteren Daten hinterlegt. Für weitere Informationen bitte den Anbieter kontaktieren.
Nach Informationen fragenDetails
Objektbeschreibung
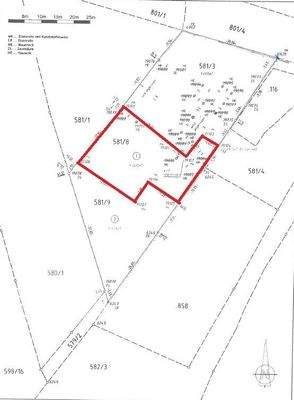
Zum Verkauf steht das Baugrundstück Nr. 581/8 im Kirchenviertel von Gratkorn, nur wenige Fahrminuten nördlich von Graz. Die Liegenschaft umfasst ca. 622 m² und weist eine Bebauungsdichte von 0,3 auf ideal für die Errichtung eines Einfamilienhauses. Das Grundstück liegt in einer gewachsenen Wohngegend mit angenehmer...
Anbieter der Immobilie

Online-ID: 2lmy856
Referenznummer: 141/83817
Finde Angebote wie dieses
Günstige Immobilienfinanzierung einfach online berechnen
Persönliches Angebot berechnenWarum sehe ich diese Werbung? – Du siehst diese Werbung basierend auf Deiner Navigation auf unserer Website und der von Dir verwendeten Suchkriterien.
Diese Werbung wird bezahlt von durchblicker
Werbung melden
Hier geht es zu unserem Impressum, den Allgemeinen Geschäftsbedingungen, den Hinweisen zum Datenschutz und nutzungsbasierter Online-Werbung.