
Immoteam7 ITS GmbH
Herr Klaus Suppan
004 ···
Nr. anzeigenPreise & Kosten
Provision für Käufer
Bitte beachte, das Angebot kann bei Vertragsabschluss die Zahlung einer Provision beinhalten. Weitere Informationen erhältst Du vom Anbieter.
Die Immobilie
Zu diesem Angebot wurden vom Anbieter keine weiteren Daten hinterlegt. Für weitere Informationen bitte den Anbieter kontaktieren.
Nach Informationen fragenDetails
Objektbeschreibung
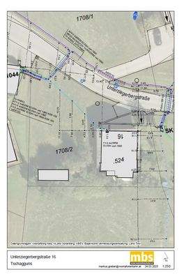
Grundstück inmitten der alpinen Kulisse des Montafons
Ihr Baugrundstück mit atemberaubendem
Panoramablick
917 m² Grundstücksgröße
Baugrund mit Altbestand in Tschagguns
Ihr Platz am Puls der Region
erschlossen
beeindruckendes Panorama über die Gemeinde und die umliegende Bergwelt
wenige...
Weitere Informationen
Stichworte
Bundesland: Vorarlberg
Dokumente
Anbieter der Immobilie
Immoteam7 ITS GmbH
Mozartstraße 1, 6850 DORNBIRN
Online-ID: 2lzzt5e
Referenznummer: 2287
Finde Angebote wie dieses
Günstige Immobilienfinanzierung einfach online berechnen
Persönliches Angebot berechnenWarum sehe ich diese Werbung? – Du siehst diese Werbung basierend auf Deiner Navigation auf unserer Website und der von Dir verwendeten Suchkriterien.
Diese Werbung wird bezahlt von durchblicker
Werbung melden
Hier geht es zu unserem Impressum, den Allgemeinen Geschäftsbedingungen, den Hinweisen zum Datenschutz und nutzungsbasierter Online-Werbung.