D&P Immobilienmanagement GmbH
Herr Friedrich Prause
+43 ···
Nr. anzeigenPreise & Kosten
Provision für Käufer
3% des Kaufpreises zzgl. 20% USt.
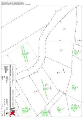
Das Grundstück
Details
Objektbeschreibung
Zum Verkauf steht dieses erschlossene Baugrundstück in bevorzugter Lage von Klagenfurt-Annabichl, welches sich ideal für den Bau eines Einfamilienhauses, einer Doppelhaushälfte oder als wertbeständige Kapitalanlage eignen.
Das Baugrundstück umfasst rund 479 m² (Teilstück 3) und ist vollständig erschlossen.
Als...
Weitere Informationen
Stichworte
Bundesland: Kärnten
Anbieter der Immobilie
D&P Immobilienmanagement GmbH
Bahnhofstraße 24, 9020 INNERE STADT
Online-ID: 2nfkv57
Referenznummer: OBGC202601221414564286fcde5a2ba
Finde Angebote wie dieses
Günstige Immobilienfinanzierung einfach online berechnen
Persönliches Angebot berechnenWarum sehe ich diese Werbung? – Du siehst diese Werbung basierend auf Deiner Navigation auf unserer Website und der von Dir verwendeten Suchkriterien.
Diese Werbung wird bezahlt von durchblicker
Werbung melden
Hier geht es zu unserem Impressum, den Allgemeinen Geschäftsbedingungen, den Hinweisen zum Datenschutz und nutzungsbasierter Online-Werbung.