Version: 8.24.0Navigation überspringen
196.185 €
1.189 m² Grundstück
Immowelt logo

Grundstück zum Kauf
196185 €
165 €/m²
1.189 m² Grundstück

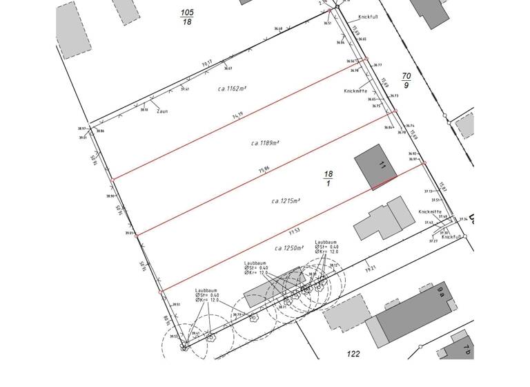
2 Bau-Grundstücke á 1162 und 1189 m² in Negernbötel, mit und ohne Bebauung

Es werden angeboten: 2 Grundstücke - 1162 m² und 1189 m²
Das Angebot bezieht sich auf 1 Grundstück.

Grundstück: 165.- € m² (Beispiel 1189 m² x 165.- € = 196.185.- €)
zuzüglich Notar- und Gerichtskosten ca. 2% der Kaufsumme
zuzüglich Grunderwerbssteuer bezogen auf den Grundstückspreis: 6,5%
zuzüglich Courtage auf den Grundstückspreis: 6% der Kaufpreissumme zuzüglich der gesetzlichen MwSt. in Höhe von 19%

Merkmale

  • 1.189 m² Grundstück

Grundrisse

Grundrisse
1 / 1

Realisiere Dein Projekt

Bausubstanz und Energie

Der Anbieter hat keine Informationen zu Energieverbrauch oder Zustand der Immobilie bereit gestellt.
Immowelt logo

Preisdetails

Kaufpreis
196185 €
165 €/m²
Provision für Käufer
Die Käufer-Courtage beträgt 6 % bezogen auf den Grundstückswert zuzüglich der gesetzlichen MwSt. von 19 % und wird mit der Unterzeichnung des notariellen Kaufvertrages fällig
Geschätzte Gesamtkosten
207.956 €1
Kaufpreis
196.185 €
Provision für Käufer (6%)
11.771 €
1Der angezeigte Wert ist eine automatisch berechnete Schätzung von immowelt.
2Bei den Angaben handelt es sich um ortsübliche Werte. Individuelle Kosten können abweichen.

Lage

address-icon
HamdorfNegernbötel (23795)
Der Anbieter hat die genaue Adresse nicht freigegeben
Quelle: Wikipedia

Lesen Sie mehr unter: Negernbötel

Weitere Informationen

Sonstiges Bitte fordern Sie unsere ausführlichen Informationen schriftlich in einer Anfrage über dieses Immobilien-Portal an.

Sie erhalten mit Ihrer Anfrage sämtliche uns vorliegenden Unterlagen per Bereitstellung in der Dropbox.

Die genaue Adresse erhalten Sie ebenfalls nach Ihrer Anfrage.

Eine gemeinsame Grundstücksbegehung ist sehr zu empfehlen.

Nehmen Sie mit uns Kontakt auf und vereinbaren Sie Ihren individuellen Beratung- und Begehungstermin.

Gerne beraten wir Sie auch in folgenden Bereichen:

# Projektbegleitung
# Kaufmännische und persönliche Beratung zu Ihren individuellen Wohnwünschen
# Finanzierungsberatung: wir arbeiten mit namhaften Kreditinstituten und Finanzierern zusammen
# Neubau-, Umbau-, Anbau-Beratung: wir arbeiten mit Handwerkern, Architekten, Bausachverständigen und Hausbauunternehmen zusammen

Sprechen Sie uns an!


Hagen Held Immobilien

Ihre fairen Immobilienkaufleute im Herzen des Nordens.
Kontakt - Transparenz - Kaufmännisch umfassend - Menschlich

Hinweis für den Interessenten:

Es wird keine Gewähr dafür übernommen, dass alle Angebotsangaben richtig sind und das das Objekt im Augenblick des Zugangs der Offerte noch verfügbar ist. Der Inhalt ist vertraulich, Sie dürfen daher weder das Angebot, noch Einzelheiten daraus an Dritte ohne unsere Einwilligung weitergeben. Ein Maklervertrag kommt zustande, wenn Sie von diesem Angebot Gebrauch machen, z.B. wenn Sie sich mit uns oder dem Eigentümer direkt in Verbindung setzen, es sei denn, die/Sie weisen uns binnen 10 Tagen per Einschreiben nach, dass Ihnen das von uns angebotene Objekt vorher von anderer Seite angeboten wurde. Die angegebene Courtage zahlen Sie nur, wenn ein Vertrag über das angebotene Objekt zustande kommt, selbst wenn wir beim Vertragsabschluss nicht mitwirken.

Weitere Services

Lust auf eine Besichtigung?
Eine Frage zur Immobilie?
Nachricht hinzufügen
Mit der Nutzung der oben angegebenen Telefonnummer oder durch Klicken auf „Kontaktieren“ akzeptierst Du die Allgemeinen Nutzungsbedingungen, denen Du jederzeit widersprechen kannst. Weitere Informationen zum Datenschutz

Über den Anbieter

Hamburger Str. 1, 23843 Bad Oldesloe
partner badge
Partnerschaft
Herr Hagen Held
Herr Hagen HeldDein Kontakt
Online-ID: 2jz7q5a
Referenznummer: 2024 HHI VK Gr c+d 11032025
Hagen Held Immobilien
title
Hagen Held Immobilien
Bewertung: 4,8 von 5 Sternen
Nachricht hinzufügen
Mit der Nutzung der oben angegebenen Telefonnummer oder durch Klicken auf „Kontaktieren“ akzeptierst Du die Allgemeinen Nutzungsbedingungen, denen Du jederzeit widersprechen kannst. Weitere Informationen zum Datenschutz
Wie zufrieden bist du mit dieser Seite (nicht mit der Immobilie selbst)?