Version: 8.24.0Navigation überspringen
219.000 €
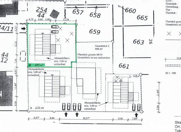
675 m² Grundstück
Immowelt logo

Grundstück zum Kauf
219000 €
324 €/m²
675 m² Grundstück

Tolles Baugrundstück in Heiligenhafen mit ca. 675 qm

Traumgrundstück mit Seeblick auf die Ostsee.
Viel Potenzial in guter Lage von Heiligenhafen.

Dieses außergewöhnliche Grundstück in bevorzugter Lage von Heiligenhafen bietet eine seltene Gelegenheit für Investoren, Bauherren oder Familien mit Weitblick. In unmittelbarer Nähe zur Ostsee gelegen, eröffnet sich Ihnen eine Neubaumöglichkeit.

Gebaut werden darf nach §34 BauGB nachbarschaftliche Bebauung
Eingeschossig mit Keller (Souterrain)

Besonderheiten auf einen Blick:
•Traumlage mit Seeblick
•Nähe zum Strand, Hafen und Stadtzentrum
•Attraktive Investitionsmöglichkeit

Fazit:

Ob als Projekt für den Eigenbedarf, zur Vermietung oder als Kapitalanlage – dieses Grundstück bietet eine außergewöhnliche Kombination aus Lage, Größe und Entwicklungspotenzial. Verwirklichen Sie Ihren Traum vom Leben am Meer – in Heiligenhafen.


Siehe Skizze



Merkmale

  • 675 m² Grundstück
  • teilweise erschlossen

Grundrisse

Grundrisse
1 / 4

Realisiere Dein Projekt

Bausubstanz und Energie

Der Anbieter hat keine Informationen zu Energieverbrauch oder Zustand der Immobilie bereit gestellt.
Immowelt logo

Preisdetails

Kaufpreis
219000 €
324 €/m²
Provision für Käufer
Die Maklercourtage für den Käufer beträgt 2,98 % inklusive der gesetzlich vorgeschriebenen 19 % MwSt. bezogen auf den Kaufpreis und ist nach Abschluss des notariellen Kaufvertrages ohne Abzug fällig.
Geschätzte Gesamtkosten
225.526 €1
Kaufpreis
219.000 €
Provision für Käufer (2,98%)
6.526 €
1Der angezeigte Wert ist eine automatisch berechnete Schätzung von immowelt.
2Bei den Angaben handelt es sich um ortsübliche Werte. Individuelle Kosten können abweichen.

Lage

address-icon
Heiligenhafen (23774)
Der Anbieter hat die genaue Adresse nicht freigegeben
Das traumhafte Grundstück liegt am südlichen Ortsrand von Heiligenhafen.
Neben dem Grundstück ist ein Neubaugebiet mit Einfamilienhäusern entstanden.
Die Grundstücke sind bereits zum größten Teil bebaut.
Die naheliegende Autobahn ist mit Schallschutz versehen und stellt keine Beeinträchtigung da.
Zur Ortsmitte sind es nur wenige Gehminuten.
Heiligenhafen zählt zu den schönsten Küstenorten an der Ostsee – maritimes Flair, moderne Infrastruktur und eine stetig wachsende Beliebtheit als Wohn- und Urlaubsort zeichnen diesen Ort aus. Das Grundstück befindet sich in ruhiger, aber zentraler Lage mit schnellem Zugang zum Hafen, zur Promenade und zum feinsandigen Strand.

Weitere Informationen

Besichtigungstermine In unserem Angebot haben wir für Sie alle wichtigen Informationen dargestellt. Über Ihre Email mit vollständigen Kontaktdaten oder Ihren Anruf freuen wir uns. Gern beraten wir Sie und stehen Ihnen für Rückfragen sowie ein persönliches Gespräch und einen Besichtigungstermin, der kurzfristig erfolgen kann, zur Verfügung. Alle Angaben zu dieser Immobilie sind lt. Auskunft der Eigentümer. Es besteht keine Gewährleistung durch den Makler. Änderungen sind vorbehalten. Der Maklervertrag mit uns kommt durch die Inanspruchnahme unserer Leistung, d.h. durch den Nachweis oder die Vermittlung zustande. Das Haus wird im qualifizierten Makler-Allein-Auftrag verkauft.
Wir, Vaigt Immobilien e.K., weisen darauf hin, dass wir mit Novellierung des Verbraucherrechts verpflichtet sind, Sie als Kunden über Ihre gesetzlichen Widerrufsrechte zu informieren.
Dieser Internet-Offerte haben wir die Widerrufsbelehrung als Anlage beigefügt und bitten Sie, diese ausführlich zur Kenntnis zu nehmen.
Um für Sie vor Ablauf der 14-tägigen Widerrufsfrist tätig sein zu dürfen, haben Sie die Möglichkeit, die in der Widerrufsbelehrung enthaltene Erklärung des Verbrauchers abzugeben.
Senden Sie uns dann bitte die Widerrufsbelehrung entsprechend ausgefüllt zu.

Weitere Services

Lust auf eine Besichtigung?
Eine Frage zur Immobilie?
Nachricht hinzufügen
Mit der Nutzung der oben angegebenen Telefonnummer oder durch Klicken auf „Kontaktieren“ akzeptierst Du die Allgemeinen Nutzungsbedingungen, denen Du jederzeit widersprechen kannst. Weitere Informationen zum Datenschutz

Über den Anbieter

Bäderstr. 28, 23626 Ratekau
Lars Vaigt
Lars VaigtDein Kontakt
Online-ID: 2l6pw5k
Referenznummer: 25-393
VAIGT IMMOBILIEN e.K.
title
VAIGT IMMOBILIEN e.K.
Bewertung: 4,7 von 5 Sternen
Nachricht hinzufügen
Mit der Nutzung der oben angegebenen Telefonnummer oder durch Klicken auf „Kontaktieren“ akzeptierst Du die Allgemeinen Nutzungsbedingungen, denen Du jederzeit widersprechen kannst. Weitere Informationen zum Datenschutz
Wie zufrieden bist du mit dieser Seite (nicht mit der Immobilie selbst)?