Version: 8.23.0Navigation ĂĽberspringen
165.000 €
634 m² Grundstück
Immowelt logo

GrundstĂĽck zum Kauf
165000 €
260 €/m²
634 m² Grundstück

BaugrundstĂĽck in Hennickendorf bei Berlin

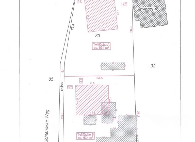
Das Grundstück (Teifläche A - Teilungsplan) liegt an zwei befestigten Straßen und ist voll erschlossen. Die noch zu vermessende Teilfläche sehen sie im anliegenden Teilungsplan mit Bebauungsvorschlag. Die Teilungskosten werden hälftig getragen. Bebaubar ist das Grundstück entsprechend der Nachbarbebauung nach § 34 BauGB mit einem freistehenden Einfamilienhaus. Das Grundstück ist voll erschlossen, alle Medien liegen straßenseitig an. Für das angebotene Grundstück kann eine Kontamination mit umweltbelastenden Stoffen (z. B. Altlasten, Schadstoffe, z.B. Asbest) nicht ausgeschlossen werden.

Merkmale

  • 634 m² GrundstĂĽck

Grundrisse

Grundrisse
1 / 1

Realisiere Dein Projekt

Bausubstanz und Energie

Der Anbieter hat keine Informationen zu Energieverbrauch oder Zustand der Immobilie bereit gestellt.
Immowelt logo

Preisdetails

Kaufpreis
165000 €
260,25 €/m²
Provision für Käufer
7,14 % Käufercourtage inkl. MwSt.
Geschätzte Gesamtkosten
176.781 €1
Kaufpreis
165.000 €
Provision für Käufer (7,14%)
11.781 €
1Der angezeigte Wert ist eine automatisch berechnete Schätzung von immowelt.
2Bei den Angaben handelt es sich um ortsübliche Werte. Individuelle Kosten können abweichen.

Lage

address-icon
Hennickendorf, Rüdersdorf bei Berlin (15378)
Der Anbieter hat die genaue Adresse nicht freigegeben
Hennickendorf, eine charmante Gemeinde nahe Berlin, im Land Brandenburg im Landkreis Märkisch-Oderland bietet ein idyllisches Wohnambiente. Diese Gemeinde ist ein Ortsteil von Rüdersdorf bei Berlin und ca. 16 km östlich der Stadtgrenze Berlins gelegen. Die Gemeinde Hennickendorf mit ihren ca. 3.300 Einwohnern ist östlich von Berlin im Landkreis Märkisch Oderland - nur ca. 5 km von Strausberg entfernt - gelegen. Sie befindet sich inmitten herrlicher Landschaftsschutzgebiete, Wälder und Wiesen und bietet durch große und kleine Seen vielfältige Möglichkeiten zum Erholen sowie für ausgedehnte Spaziergänge und Radtouren an. Die Gemeinde verfügt über eine gute Verkehrsanbindung. So gelangt man über die B 1/B 5 rasch auf den östlichen Berliner Autobahnring (A 10) oder ins Berliner Stadtzentrum. Durch die Regionalbahn oder die S-Bahn in Strausberg ist das Berliner Stadtzentrum auch ohne Auto bequem zu erreichen. In Hennickendorf findet sich alles, was man zum täglichen Leben benötigt. Der Bäcker, Discounter, und Ärzte sind ebenso zu finden, wie die Kita und die Grundschule für die Kleinen. Weiterführende Schulen sind in Rüdersdorf oder Strausberg zu finden. Eine hervorragende Busverbindung sorgt hier für die nötige Flexibilität. Hennickendorf ist eine grüne Oase umgeben von zwei wunderschönen Seen. Der Ort lädt zum Wohlfühlen ein, nicht umsonst entstehen seit Jahren unzählige neue Einfamilienhäuser. Die Mischung aus ländlicher Idylle und die Möglichkeit doch schnell in der Hauptstadt zu sein, ist gerade für Familien mit Kindern sehr attraktiv

Weitere Informationen

Anbindung Der Ort Hennickendorf ist über die B1 (Abzweig Strausberg) schnell zu erreichen. Die BAB 10 (Berliner Ring, Anschlussstelle Hellersdorf) ist ungefähr 7 Kilometer entfernt. Mehrere Buslinien verbinden den Ort mit den anderen Gemeindeteilen und mit Strausberg. Der S und Regionalbahnhof Strausberg ist ca. 4 Kilometer entfernt. Von dort verkehrt die S-Bahn im 20-Minuten-Takt nach Berlin. Zusätzlich fährt stündlich eine Regionalbahn bis Berlin Ostkreuz. Besichtigungstermine/Sonstiges Unser Exposé basiert auf Angaben des Verkäufers.`Die Firma Hartmut Gralow Immobilien übernimmt daher keine Haftung für die Angaben oder wegen einer Zwischenverfügung durch den Eigentümer.
Besichtigungstermine nach Vereinbarung

Weitere Services

Lust auf eine Besichtigung?
Eine Frage zur Immobilie?
Nachricht hinzufĂĽgen
Mit der Nutzung der oben angegebenen Telefonnummer oder durch Klicken auf „Kontaktieren“ akzeptierst Du die Allgemeinen Nutzungsbedingungen, denen Du jederzeit widersprechen kannst. Weitere Informationen zum Datenschutz

Ăśber den Anbieter

Friedrichshagener Str. 1, 15566 Schöneiche bei Berlin
Herr Hartmut GralowDein Kontakt
Online-ID: 2kx2g5g
Referenznummer: 9053
Hartmut Gralow Immobilien
Bewertung: 5 von 5 Sternen
Nachricht hinzufĂĽgen
Mit der Nutzung der oben angegebenen Telefonnummer oder durch Klicken auf „Kontaktieren“ akzeptierst Du die Allgemeinen Nutzungsbedingungen, denen Du jederzeit widersprechen kannst. Weitere Informationen zum Datenschutz
Wie zufrieden bist du mit dieser Seite (nicht mit der Immobilie selbst)?