Version: 8.25.1Navigation überspringen
ohne-makler.net - Immobilien selbst vermarkten
Preis auf Anfrage
5.300 m² Grundstück

Grundstück zum Kauf • provisionsfrei
5.300 m² Grundstück

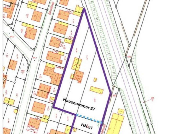
BAUGRUNDSTÜCK - Stadt Worms - Errichtung von bis zu 20 hochwertigen WE auf 5.300 m2 möglich

BAUGRUNDSTÜCK - Stadt Worms - Errichtung von bis zu 20 hochwertigen WE auf 5.300 m2 (Bilder - mögliche, optimierte Bebauung des Geländes)

AUSDRÜCKLICH - KEINE MAKLERKONTAKTE ODER BAUVERMITTLER ETC. ERWÜNSCHT - § 7 UWG

WEGEN DER GRÖßE DES GESAMTPROJEKTES ERFOLGT NUR EIN VERKAUF AN EINE BAUTRÄGERGESELLSCHAFT

Wir bieten Ihnen zwei aneinander liegende Grundstücke in Worms an, mit einer Größe von ca. 5.300 qm, die nur wenige Minuten vom Innenstadtbereich entfernt in einer ruhigen Wohngegend (Ein- und Zweifamilienhäuser) liegen und eine sehr gute Busanbindung u.a. auch zum Klinikum und zum Hauptbahnhof haben. Selbst mit dem Fahrrad ist die Innenstadt in nur fünf Minuten erreichbar.

Topografisch ist das Gesamtgelände weitgehend eben, ganz leicht abfallend Richtung der nördlichen Grundstücksspitze.

Die Grundstücke sind völlig unbelastet und ohne Miet- und Pachtverhältnisse.

Bodenprobe­n (4 m Tiefe) von 2022 in einem der Grundstücke waren unbelasteten Z0, der Boden ist tragfähig.

Auf den Grundstücken stehen Bestandsbauten, die einer Neubebauung weichen müssen.

Die Bahnstrecke verläuft auf einem 2,50 m hohen Bahndamm in nord-östlicher Richtung. Eine wirkungsvolle und optisch ansprechende zwei Meter hohe Schallschutzwand ist in diesem Bereich von der Bahn errichtet worden .
Grundsätzlich ist in Bahnnähe vor einer Bebauung ein Schallgutachten einzuholen und dem Bauamt mit dem Bauantrag vorzulegen. In diesem Zusammenhang wird eine kubistische Bauweise mit Flachdach empfohlen (siehe auch Bebauungsbeispiele), da diese Bauform schalltechnisch den höchsten Schallschutz bietet, im Gegensatz zu Gebäuden mit Satteldächern.

Das kleinere, südlich gelegene Grundstück (1.345 m2) ist voll erschlossen. Das größere Grundstück (3.926 m2) war nur an das Stromnetz angeschlossen. Sonstige Ent- und Versorgungsleitungen liegen im angrenzenden Sackgassenbereich. Der erforderliche ober- und unterirdische Straßen- und Wegeausbau ist Sache des künftigen Bauherren.

Nach einer BAUVORANFRAGE bezüglich n u r der möglichen "BAUFENSTER" können SIEBEN DOPPELHÄUSER (14 Wohneinheiten) - harmonisch und verkehrs- und versorgungstechnisch machbar - auf dem größeren Grundstück platziert werden. Die Doppelhausgrößen wurden mit einer Breite von 11 m und einer Tiefe von 12 m angenommen. Diese Größen sind nur ungefähre Richtwerte und natürlich im Rahmen des möglichen abänderbar.
Natürlich ist - bei der Vorplanung - auch eine Feuerwehraufstellfläche, ein Wendemöglichkeit, ein Müllsammelplatz und die Errichtung einer gemeinsamen Energiezentrale in der Grundstücksspitze evtl. möglich.

Jede Doppelhaushälfte hätte eine Garage und einen Stellplatz, die Versorgung von E-Autos wäre also gewährleistet.

Grundsätzlich sind alle Dachformen und eine Geschossanzahl bis 2+ erlaubt. Die Firsthöhe muss =/< 10 m sein. Ein Bebauungsplan existiert nicht für dieses Gebiet, daher findet § 34 BauGB (die Gebäude müssen sich in die nähere Umgebung einfügen) Anwendung.

Bezüglich des kleineren Grundstücks wurde keine Bauvoranfrage gestellt. Sicher können dort aber zwei Doppelhäuser (4 WE) im Abstand von 4 m zur Grundstücksgrenze - nach erforderlichem Wegeausbau - errichtet werden.

Im Rahmen des bundesweit neuen Bauturbos könnten u.U. durch den neuen § 34 Abs. 3b BauGB auch zwei Gebäude mit jeweils drei vertikal getrennten WE erstellt werden, also 6 WE. § 34 Abs. 3b BauGB ermöglicht Antragstellern vom Grundsatz "des Einfügens in die nähere Umgebung" abzuweichen, ein Referenzgebäude in unmittelbarer Nähe hätte nur eine 1,5 m geringere Breite.
Die Stadt Worms hat Leitlinien bei Anwendung der neuen Bauturbogesetze festgelegt, die einzuhalten sind.

Merkmale

  • Bezug: nach Absprache
  • 5.300 m² Grundstück
  • teilweise erschlossen

Grundrisse

Grundrisse
1 / 6

Realisiere Dein Projekt

Bausubstanz und Energie

Möchtest du Details zum Energieverbrauch?info_energy_calculation-icon
MediumRectangleTop

Preisdetails

Provision für Käufer
provisionsfrei; keine Provision, courtagefrei

Lage

address-icon
NeuhausenWorms (67549)
Der Anbieter hat die genaue Adresse nicht freigegeben
s. o.
Infrastruktur (im Umkreis von 5 km):
Apotheke, Lebensmittel-Discount, Allgemeinmediziner, Kindergarten, Grundschule, Hauptschule, Realschule, Gymnasium, Gesamtschule, Öffentliche Verkehrsmittel

Weitere Informationen

Sonstiges UNTER BEACHTUNG DER VORGENANNTEN BAUVORGABEN KÖNNTE SEHR ZÜGIG EIN BAUANTRAG GESTELLT UND EINE BEBAUUNG ERFOLGEN.

Es würde uns freuen, wenn wir Ihr Interesse wecken konnten.

Wir stehen Ihnen, wenn Sie als Projektentwickler-in für eine Bauträgergesellschaft tätig sind, jederzeit für Rückfragen - über das Portal - zur Verfügung und übersenden Ihnen gern unser ausführliches Exposé.

Makleranfragen nicht erwünscht. Nach § 7 UWG sind unaufgeforderte Kontaktaufnahmen durch Makler ohne ausdrückliche Einwilligung des Empfängers verboten!

ohne-makler (OM) ist weder Anbieter noch Vermittler der Immobilie. OM betreibt eine Plattform für Immobilieneigentümer, die unter anderem die gleichzeitige Veröffentlichung einzelner Inserate auf mehreren Immobilienportalen ermöglicht. Die Inhalte dieser Inserate werden ausschließlich von Dritten verantwortet. Für die Richtigkeit, Vollständigkeit oder Rechtmäßigkeit der Angaben übernimmt OM keine Haftung. Hinweise auf mögliche Rechtsverstöße können jederzeit gemeldet werden und werden nach Prüfung umgehend bearbeitet. Stichworte Bundesland: Rheinland-Pfalz

Weitere Services

Lust auf eine Besichtigung?
Eine Frage zur Immobilie?
Nachricht hinzufügen
Mit der Nutzung der oben angegebenen Telefonnummer oder durch Klicken auf „Kontaktieren“ akzeptierst Du die Allgemeinen Nutzungsbedingungen, denen Du jederzeit widersprechen kannst. Weitere Informationen zum Datenschutz

Über den Anbieter

Humboldtstr. 25 A, 21509 Glinde
partner badge
Partnerschaft
Privat vom EigentümerDein Kontakt
Keine Telefonnummer hinterlegt
Keine Telefonnummer hinterlegt
Online-ID: 26WV39G37SUI
Referenznummer: 445731
ohne-makler.net - Immobilien selbst vermarkten
ohne-makler.net - Immobilien selbst vermarkten
Nachricht hinzufügen
Mit der Nutzung der oben angegebenen Telefonnummer oder durch Klicken auf „Kontaktieren“ akzeptierst Du die Allgemeinen Nutzungsbedingungen, denen Du jederzeit widersprechen kannst. Weitere Informationen zum Datenschutz
MediumRectangleTop
MediumRectangleBottom
MediumRectangleTop
Wie zufrieden bist du mit dieser Seite (nicht mit der Immobilie selbst)?