Version: 8.26.0Navigation überspringen
17.100 €
1.475 m² Grundstück
Immowelt logo

Freizeitgrundstück zum Kauf
17100 €
12 €/m²
1.475 m² Grundstück

*** Große Gartengrundstücke in ruhiger Ortsrandlage ***

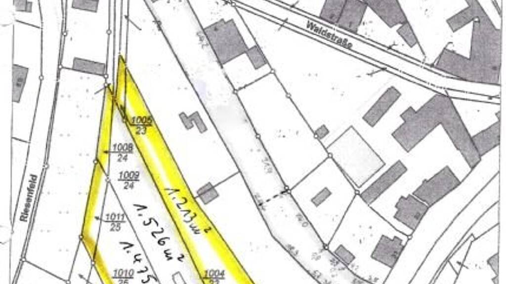
Sie erwarten zwei große unbebaute Grundstücke (zur Zeit Gartenland) von 1.425 m² und 1.526 m²) in ruhiger Ortsrandlage von Weferlingen zwischen Sophienstraße, Waldstraße und Riesenfeld.
Der angegebene Kaufpreis bezieht sich auf das kleinere Grundstück.

Das angrenzende Grundstück rechts ( 1.213 m²) ist verkauft.




Merkmale

  • 1.475 m² Grundstück
  • unerschlossen
Immowelt logo

Preisdetails

Kaufpreis
17100 €
12 €/m²
Provision für Käufer
Die Maklercourtage beträgt für Käufer 5,95% inkl. Mwst. und ist nach notarieller Beurkundung zur Zahlung fällig.
Geschätzte Gesamtkosten
18.117 €1
Kaufpreis
17.100 €
Provision für Käufer (5,95%)
1.017 €
1Der angezeigte Wert ist eine automatisch berechnete Schätzung von immowelt.
2Bei den Angaben handelt es sich um ortsübliche Werte. Individuelle Kosten können abweichen.

Lage

address-icon
RiesenfeldWeferlingenOebisfelde-Weferlingen (39356)
Weferlingen ist ein Ortsteil der Stadt Oebisfelde-Weferlingen im Landkreis Börde in Sachsen-Anhalt, ca. 26 km süd-östlich von Wolfsburg und 15 km nord-östlich von Helmstedt. Das Grundstück befindet sich in der Nähe des Ortskernes der schönen alten Stadt.
Gute Einkaufsmöglichkeiten, Ärzte, Apotheke, Schulen Kindergärten, Tankstelle usw. sind in wenigen Minuten erreichbar.

Weitere Informationen

Sonstiges Weiter Informationen bzgl. einer eventuellen Bebauung, Bauplanung, Bauvoranfrage , Zuwegung etc. gern in einem persönlichen Gespräch. Widerrufsbelehrung Die hier gemachten Objektangaben wie z.B. Maße, Zustand etc. beruhen auf den Angaben der Eigentümer. Eine Gewähr für die Richtigkeit kann nicht übernommen werden.
Das Angebot ist freibleibend. Irrtum und Zwischenverkauf bleibt vorbehalten!

Widerrufsrecht für Verbraucher!!

Sie haben das Recht, binnen vierzehn Tagen ohne Angabe von Gründen den Maklervertrag zu widerrufen.

Die Widerrufsfrist beträgt vierzehn Tage ab dem Tag des Vertragsabschlusses.

Um Ihr Widerrufsrecht auszuüben, müssen Sie uns [HÜGEL Immobilien, Alte Dorfstr. 2, 38459 Bahrdorf,
Tel-Nr.: 05358 9840725, huegel@wolfsburg.de] mittels einer eindeutigen Erklärung (z.B. ein mit der Post versandter Brief oder E-Mail) über Ihren Entschluss, diesen Maklervertrag zu widerrufen, informieren.
Zur Wahrung der Widerrufsfrist reicht es aus, dass Sie die Mitteilung über die Ausübung des Widerrufsrechts vor Ablauf der Widerrufsfrist absenden.

Weitere Services

Lust auf eine Besichtigung?
Eine Frage zur Immobilie?
Nachricht hinzufügen
Mit der Nutzung der oben angegebenen Telefonnummer oder durch Klicken auf „Kontaktieren“ akzeptierst Du die Allgemeinen Nutzungsbedingungen, denen Du jederzeit widersprechen kannst. Weitere Informationen zum Datenschutz

Über den Anbieter

Alte Dorfstr. 2, 38459 Bahrdorf
partner badge
3 Jahre Partnerschaft
Ralf J. HügelDein Kontakt
Online-ID: 23D949ZDDA5L
Referenznummer: 482
Wie zufrieden bist du mit dieser Seite (nicht mit der Immobilie selbst)?