Version: 8.24.0Navigation überspringen
Garant Immobilien München GmbH
69.000 €
733 m² Grundstück

Grundstück zum Kauf
69000 €
94,13 €/m²
733 m² Grundstück

Traumhafte Grundstücke in Leisnig-Fischendorf - Jetzt sichern!

Nutzen Sie diese einmalige Gelegenheit!

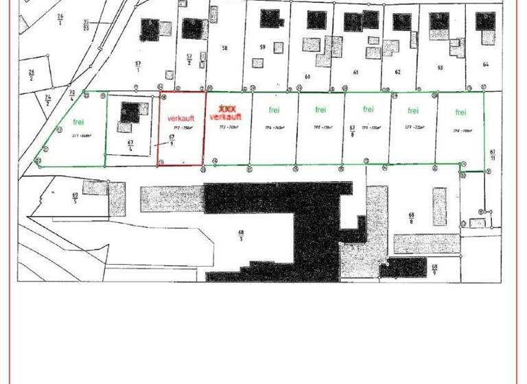
In Leisnig-Fischendorf stehen jetzt attraktive Grundstücke ab ca. 733 qm zur Verfügung. Von den insgesamt acht Grundstücken ist bereits eines verkauft - Sie haben also noch die Möglichkeit, aus einer Auswahl an Grundstücken das für Sie passende zu wählen!

Verfügbare Grundstücke:

FT1 - ca. 849 qm

FT3 - ca. 749 qm (bereits verkauft)

FT4 - ca. 743 qm

FT5 - ca. 738 qm

FT6 - ca. 734 qm

FT7 - ca. 733 qm

FT8 - ca. 796 qm

(Die Preise variieren entsprechend der Größe der Grundstücke.)

Die Grundstücke liegen leicht erhöht und bieten einen traumhaften Blick auf die Freiberger Mulde sowie das gegenüberliegende Schloss. In Planung steht zudem der Abriss alter Gebäude entlang der rechten Zufahrtsseite, wodurch sich der freie Blick noch weiter verbessern wird.

Nutzen Sie jetzt die Gelegenheit, sich ein zukunftsorientiertes Grundstück in bester Lage zu sichern!



Weitere Angebote unter www.GARANT-IMMO.de

Merkmale

  • Bezug: sofort
  • 733 m² Grundstück

Grundrisse

Grundrisse
1 / 1

Realisiere Dein Projekt

Bausubstanz und Energie

Der Anbieter hat keine Informationen zu Energieverbrauch oder Zustand der Immobilie bereit gestellt.
MediumRectangleTop

Preisdetails

Kaufpreis
69000 €
94,13 €/m²
Provision für Käufer
4,76 % (inkl. MwSt.) inkl. MwSt.
Die Maklercourtage für den Käufer beträgt 4 % aus dem Kaufpreis zuzüglich der gesetzlichen MwSt., somit gesamt 4,76 %.
Geschätzte Gesamtkosten
72.284 €1
Kaufpreis
69.000 €
Provision für Käufer (4,76%)
3.284 €
1Der angezeigte Wert ist eine automatisch berechnete Schätzung von immowelt.
2Bei den Angaben handelt es sich um ortsübliche Werte. Individuelle Kosten können abweichen.

Lage

address-icon
FischendorfLeisnig (04703)
Der Anbieter hat die genaue Adresse nicht freigegeben
- Leben in Leisnig-Fischendorf
Leisnig-Fischendorf bietet eine idyllische, ruhige Wohnlage mit einer hervorragenden Infrastruktur. Die Stadt Leisnig ist bekannt für ihre historische Altstadt und ihre naturnahe Umgebung.

- Einkaufsmöglichkeiten:
In Leisnig stehen Ihnen verschiedene Supermärkte, Bäckereien und kleinere Einzelhandelsgeschäfte für den täglichen Bedarf zur Verfügung. Das nahegelegene Döbeln bietet zudem weitere Einkaufsmöglichkeiten und Fachmärkte.

- Ärztliche Versorgung:
Leisnig verfügt über mehrere Allgemeinärzte, Fachärzte sowie eine Apotheke. Das nächstgelegene Krankenhaus befindet sich in Döbeln.

- Bildungseinrichtungen:
Familien profitieren von einem guten Bildungsangebot. In Leisnig gibt es mehrere Kindergärten, eine Grundschule sowie eine Oberschule. Weiterführende Schulen, wie ein Gymnasium, sind in Döbeln und Grimma erreichbar.

- Straßenanbindung: Die Bundesstraße B107 sorgt für eine schnelle Verbindung in Richtung Grimma und Döbeln. Die Autobahn A14 ist nur wenige Fahrminuten entfernt und bietet eine bequeme Anbindung an Leipzig und Dresden.

- Öffentliche Verkehrsmittel: Ein gut ausgebautes Busnetz verbindet Leisnig mit den umliegenden Städten und Gemeinden. Zudem gibt es einen Bahnhof mit regelmäßigen Zugverbindungen in Richtung Leipzig und Chemnitz.

Weitere Services

Lust auf eine Besichtigung?
Eine Frage zur Immobilie?
Nachricht hinzufügen
Mit der Nutzung der oben angegebenen Telefonnummer oder durch Klicken auf „Kontaktieren“ akzeptierst Du die Allgemeinen Nutzungsbedingungen, denen Du jederzeit widersprechen kannst. Weitere Informationen zum Datenschutz

Über den Anbieter

Kistlerhofstraße 170, 81379 München
partner badge
Partnerschaft
Büro LeipzigDein Kontakt
Online-ID: 2nm3n54
Referenznummer: 493.123
Garant Immobilien München GmbH
Garant Immobilien München GmbH
Nachricht hinzufügen
Mit der Nutzung der oben angegebenen Telefonnummer oder durch Klicken auf „Kontaktieren“ akzeptierst Du die Allgemeinen Nutzungsbedingungen, denen Du jederzeit widersprechen kannst. Weitere Informationen zum Datenschutz
MediumRectangleTop
MediumRectangleBottom
MediumRectangleTop
Wie zufrieden bist du mit dieser Seite (nicht mit der Immobilie selbst)?