Version: 8.24.0Navigation überspringen
PlanetHome Group GmbH
380.000 €
5 Zimmer  •  150 m²  •  3.014 m² Grundstück

Einfamilienhaus zum Kauf
380000 €
2.533 €/m²
5 Zimmer  •  150 m²  •  3.014 m² Grundstück

EFH auf über 3.000 m² Grundstück + Scheune in Wittorf / Lüneburg

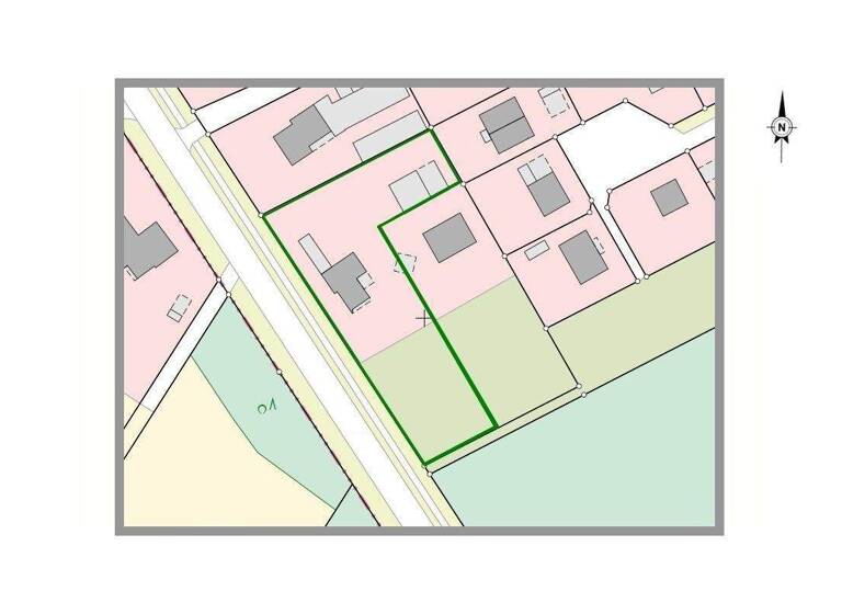
Das angebotene Objekt befindet sich in Wittorf bei Lüneburg. Die grün umrandete Fläche stellt ein Teilgrundstück mit einer Größe von ca. 3.014 m² dar und wird aus einem Gesamtgrundstück von ca. 4.928 m² herausgeteilt.

Auf dem Teilgrundstück befindet sich derzeit ein modernisierungsbedürftiges Einfamilienhaus aus dem Jahr ca. 1952 mit einem Anbau aus ca. 1982 sowie eine große Scheune. Das Einfamilienhaus verfügt über eine Wohnfläche von ca. 150 m², die Scheune über eine Fläche von ca. 160 m². Zudem gehören eine großzügige Garage sowie ein kleiner Teilkeller zum Haus.

Alternativ eignet sich das Teilgrundstück als Bauland für die Errichtung von zwei Einfamilienhäusern oder Doppelhäusern. Die mögliche Bebauung richtet sich nach § 34 BauGB.

Es wird darauf hingewiesen, dass für eine verbindliche Genehmigung des geplanten Bauvorhabens eine detaillierte Bauplanung bzw. eine Bauvoranfrage beim zuständigen Bauamt erforderlich ist. Eine frühzeitige Abstimmung mit den zuständigen Behörden wird empfohlen. Die Kosten für einen möglichen Abriss des Bestands sowie die Gebühren für einen Bauvorbescheid oder eine Baugenehmigung sind vom Käufer zu tragen.

Entdecken Sie das volle Potenzial dieses Grundstücks bei einer persönlichen Besichtigung. Gerne stellen wir Ihnen vorab das ausführliche Exposé sowie die vollständigen Objektunterlagen zur Verfügung. Wir freuen uns auf Ihre Kontaktaufnahme und darauf, Sie persönlich in Wittorf begrüßen zu dürfen.

Merkmale

  • 3.014 m² Grundstück
  • Kelleranteil
  • 6 Stellplätze

Grundrisse

Grundrisse
1 / 4

Realisiere Dein Projekt

Bausubstanz und Energie

Energieausweis

G
  • Baujahr1952
  • Zustand der ImmobilieMassivhaus
  • HeizungsartZentralheizung
  • EnergieträgerGas
MediumRectangleTop

Preisdetails

Kaufpreis
380000 €
2.533,33 €/m²
Provision für Käufer
3,57 % inkl. MwSt.
Geschätzte Gesamtkosten
420.166 €1
Kaufpreis
380.000 €
Notarkosten (1,5%)
5.700 €
Grunderwerbsteuer (5%)
19.000 €
Provision für Käufer (3,57%)
13.566 €
Grundbucheintrag (0,5%)
1.900 €
1Der angezeigte Wert ist eine automatisch berechnete Schätzung von immowelt.
2Bei den Angaben handelt es sich um ortsübliche Werte. Individuelle Kosten können abweichen.

Lage

address-icon
Wittorf (21357)
Der Anbieter hat die genaue Adresse nicht freigegeben
Idyllisch und zugleich verkehrsgünstig zwischen Lüneburg und Winsen gelegen, liegt das rund 1.500 Einwohner zählende Dorf Wittorf, umgeben von Feldern, Wiesen und dem Lauf der Ilmenau.

Pendler profitieren von der guten Anbindung an das Autobahnnetz: Die B 404 sowie die A 39 sind in wenigen Minuten erreichbar. Lüneburg liegt etwa 10 Fahrminuten entfernt, Winsen erreichen Sie in rund 12 Minuten. Auch Einkaufsmöglichkeiten befinden sich im nahen Bardowick.

Wittorf bietet eine gewachsene Infrastruktur mit einer Bäckerei, kleineren und größeren Betrieben verschiedener Branchen, einem weitläufigen Gewerbegebiet sowie zahlreichen Einfamilienhäusern. Ein Kindergarten, ein Sportplatz und eine Bewegungshalle runden das Angebot ab. Entlang des Ortsrandes fließt die Ilmenau, die besonders in den Sommermonaten zu Aktivitäten wie Paddeln oder Abkühlung im Wasser einlädt.

Die umliegende Natur eröffnet vielfältige Möglichkeiten zur Freizeitgestaltung und Erholung und macht die Lage besonders attraktiv für Naturliebhaber.

Weitere Informationen

Stichworte Garage vorhanden, Carport vorhanden, Nutzfläche: 180,00 m², 1 Etagen

Weitere Services

Lust auf eine Besichtigung?
Eine Frage zur Immobilie?
Nachricht hinzufügen
Mit der Nutzung der oben angegebenen Telefonnummer oder durch Klicken auf „Kontaktieren“ akzeptierst Du die Allgemeinen Nutzungsbedingungen, denen Du jederzeit widersprechen kannst. Weitere Informationen zum Datenschutz

Über den Anbieter

Feringastraße 11, 85774 Unterföhring
partner badge
10 Jahre Partnerschaft
Björn PudellDein Kontakt
Online-ID: 2npe35g
Referenznummer: 727765
PlanetHome Group GmbH
PlanetHome Group GmbH
Nachricht hinzufügen
Mit der Nutzung der oben angegebenen Telefonnummer oder durch Klicken auf „Kontaktieren“ akzeptierst Du die Allgemeinen Nutzungsbedingungen, denen Du jederzeit widersprechen kannst. Weitere Informationen zum Datenschutz
MediumRectangleTop
MediumRectangleTop
Wie zufrieden bist du mit dieser Seite (nicht mit der Immobilie selbst)?