Baugrundstücke in Hanglage - zwei Flurstücke mit Potenzial!
Zum Verkauf stehen zwei nebeneinanderliegende Flurstücke, die gemeinsam veräußert werden. Der angegebene Kaufpreis versteht sich als Gesamtpreis für beide Grundstücke.
Die Grundstücke befinden sich in Hanglage in einem gewachsenen Wohnumfeld, das überwiegend von ein- bis zweigeschossigen Ein- und Zweifamilienhäusern geprägt ist. Dadurch ergibt sich eine ruhige, familienfreundliche Nachbarschaft.
Gemäß dem rechtskräftigen Bebauungsplan liegt das Areal in einem Allgemeinen Wohngebiet (WA). Es gelten folgende baurechtliche Vorgaben:
- Grundflächenzahl (GRZ): 0,25 - offene Bauweise - Zulässige Gebäudehöhe an der festgelegten Geländeoberfläche bis zur Dachrinne: * bei eingeschossiger Bauweise: max. 3,50 m * bei zweigeschossiger Bauweise: max. 6,00 m
Auf Anfrage erhalten Sie alle vorliegenden Unterlagen inkl. Bebauungsplan und Flächennutzungsplan.
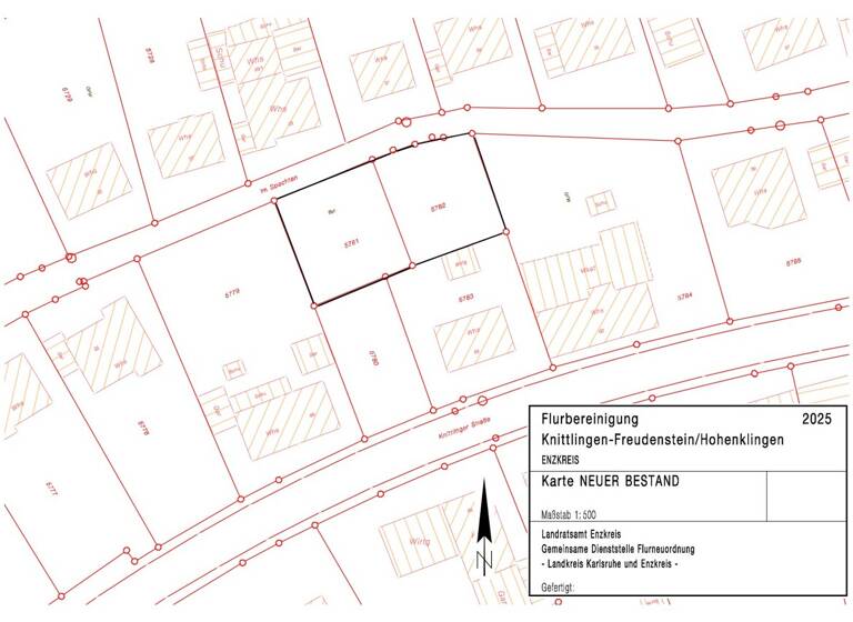
Hinweis: Im Zuge einer aktuellen Vermessung (Flurbereinigungsnachweis) wurde eine geringfügig abweichende Grundstücksfläche festgestellt. Diese liegt um 3 m² unter der im Grundbuch eingetragenen Fläche. Bis zur entsprechenden Berichtigung im Grundbuch gilt die dort ausgewiesene Fläche als rechtlich maßgeblich.
1Der angezeigte Wert ist eine automatisch berechnete Schätzung von immowelt.
2Bei den Angaben handelt es sich um ortsübliche Werte. Individuelle Kosten können abweichen.
Lage
Freudenstein-Hohenklingen, Knittlingen (75438)
Der Anbieter hat die genaue Adresse nicht freigegeben
Freudenstein ist ein idyllischer Ortsteil der Stadt Knittlingen im Enzkreis und vereint ländliche Ruhe mit einer hervorragenden Anbindung an die umliegenden Zentren. Umgeben von Feldern, Wiesen und Weinbergen bietet der Ort eine naturnahe Wohnlage mit hohem Erholungswert.
Knittlingen selbst verfügt über eine sehr gute Infrastruktur mit Einkaufsmöglichkeiten für den täglichen Bedarf, Kindergärten, Schule, Ärzten sowie gastronomischen Angeboten. Weiterführende Schulen, umfangreiche Einkaufsmöglichkeiten und zahlreiche Freizeitangebote befinden sich in den nahegelegenen Städten Bretten, Mühlacker und Pforzheim, die in wenigen Fahrminuten erreichbar sind.
Durch die verkehrsgünstige Lage sind sowohl die Bundesstraße B35 als auch die Autobahn A8 (Anschlussstelle Pforzheim-Nord) schnell erreichbar. Dadurch bestehen gute Pendelmöglichkeiten in Richtung Karlsruhe, Stuttgart und Pforzheim. Der öffentliche Nahverkehr ist ebenfalls gut ausgebaut und verbindet Freudenstein zuverlässig mit den umliegenden Ortschaften und Bahnhöfen.
Weitere Informationen
Sonstiges
Angaben und Haftungsvorbehalt: Alle Angaben in diesem Exposé wurden mit großer Sorgfalt zusammengestellt und auf ihre Korrektheit überprüft. Eine Haftung für Irrtümer (z. B. bei Flächen- / Maßangaben) wird dennoch ausgeschlossen. Im Exposé enthaltene Illustrationen und Fotos sind teilweise als Vorschläge, Entwürfe und Muster zu verstehen und nicht als wesentliche Elemente im Sinne der Baubeschreibung. Sie repräsentieren den Planungsstand zum Zeitpunkt der Drucklegung. Grundrissillustrationen können z. B. Sonderausstattungen enthalten. Maßgebend für Erwerber ist die Baubeschreibung sowie die Objektbeschreibung in der Teilungserklärung.
Gender-Hinweis: Die in diesem Exposé, auf unserer Webseite sowie in unseren Social Media-Kanälen gewählte männliche Form bezieht sich stets gleichermaßen auf weibliche, männliche und diverse Personen. Auf geschlechterspezifische Schreibweise und Mehrfachbezeichnungen wird ausschließlich zum Zweck der besseren Lesbarkeit verzichtet. Sämtliche personenbezogene Bezeichnungen in all unseren Publikationen sind somit geschlechtsneutral zu verstehen.
Stichworte
GRZ: 0,25, Distanz zum Kindergarten: 0.50, Distanz zur Grundschule: 0.60, Distanz zur Realschule: 4.70, Distanz zur nächsten Einkaufsmöglichkeit: 5.50, Distanz zum Gymnasium: 5.40, Distanz zum Bus: 0.35