
Seliger Immobilien GmbH
Frau Ursula Seliger, Dipl.Ing. (FH)
072 ···
Nr. anzeigenPreise & Kosten
Provision für Käufer
3,00 % vom Kaufpreis, zuzüglich der gesetzlichen Mehrwertsteuer, derzeit 19 %
Die Provision ist mit Abschluss des Kaufvertrages fällig.
Lage
Der Karlsruher Stadtteil Grünwettersbach liegt etwa im Süd-Osten von Karlsruhe.
Unser leichtes Hanggrundstück erstreckt sich am nördlichen Rand des Bergdorfes. Hier haben Sie Sonne satt. Durch die topographische Lage ernten Sie Wärme und Licht in hohem Maße.
Grünwettersbach verfügt über ein Nahversorgungszentrum...
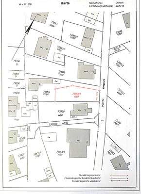
Das Grundstück
Details
Objektbeschreibung
Die Straße "Am Berg" - Grünwettersbachs Sonnenseite !
- mit herrlicher Aussicht auf Grünwettersbach
- nur etwa 3 Gehminuten zum Feldrand
Das Grundstück Am Berg 19 a umfasst 335 qm.
Auf dem, ebenfalls zu verkaufenden, dahinter angrenzenden Grundstück steht das Bestandswohnhaus Nr. 19. Dorthin führt...
Preisinformation
Wir möchten Ihnen unser herrliches Ausblicksgrundstück zu einem fairen Preis anbieten, obwohl wir wissen, dass Baugrundstücke im kompletten Karlsruher Raum, sowie im Umland, absolute Mangelware sind.
Die Grundstücke in dieser Straße sind komplett erschlossen. Der Bodenrichtwert beträgt zum 01.01.2025 laut...
Weitere Informationen
Besichtigungen
Wir hoffen, Ihr Interesse geweckt zu haben und freuen uns auf Sie!
Rufen Sie uns an. Gerne beantworten wir Ihre Fragen.
Falls gewünscht, können wir Ihnen den direkten Kontakt zu seriösen Bauanbietern herstellen - sowohl für Massivbau, als auch für Holzbau.
Ebenso kooperieren wir mit...
Anbieter der Immobilie
Seliger Immobilien GmbH
Thüringer Str. 3, 76228 Karlsruhe
Online-ID: 2ls5r5h
Finde Angebote wie dieses
Hier geht es zu unserem Impressum, den Allgemeinen Geschäftsbedingungen, den Hinweisen zum Datenschutz und nutzungsbasierter Online-Werbung.