
HK Immobilienmanagement für Handel und Gewerbe
Herr Hans Kössinger
056 ···
Nr. anzeigenPreise & Kosten
Provision für Käufer
4,76% vom Kaufpreis inkl. 19% MwSt.
Lage
Die Großgemeinde Niestetal (ca. 11.000 Einw.) grenzt östlich direkt an die nordhessiche Metropole Kassel mit ca. 200.000 Einwohnern.
Das Grundstück liegt in einem sowohl gewerblich als wohnwirtschaftlich genutzten
Gebiet in dem Ortsteil Sandershausen.
Die Anbindung an Kassel ist sowohl durch den ÖPNV als auch den...
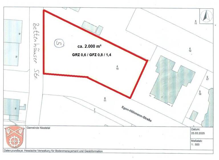
Das Grundstück
Details
Objektbeschreibung
Dieses vernünftig geschnittene Grundstück ist vielfältig gewerblich (emissionsarmes
Gewerbe) nutzbar.
Die baurechtlichen Eckdaten gewährleisten eine optimale Ausnutzung.
• Grundflächenzahl (GRZ) 0,6 = 1.200 m² bebaubare Grundfläche
• Geschossflächenzahl eingeschossig (GFZ) 0,8 = 1.600 m² Geschossfläche
•...
Weitere Informationen
Besichtigungstermine
Die Grundstück (Eckgrundstück) kann problemlos vorbesichtigt und auch begangen
werden. Gern aber auch nach Absprache mit uns oder dem Eigentümer.
Stichworte
Bebaubarkeit: Bauland ohne Bebauungsplan, nach § 34 BauGB Nachbarkeit
Anbieter der Immobilie
Online-ID: 2k9zz55
Referenznummer: GG01052025
Finde Angebote wie dieses
Hier geht es zu unserem Impressum, den Allgemeinen Geschäftsbedingungen, den Hinweisen zum Datenschutz und nutzungsbasierter Online-Werbung.