Version: 8.22.4Navigation überspringen
3SI Makler GmbH
395.000 €
856 m² Grundstück

Grundstück zum Kauf
395000 €
461 €/m²
856 m² Grundstück

Sonnige Baugründe mit Fernblick in ruhiger Waldrandlage

Zum Verkauf gelangen 3 attraktive Baugrundstücke in zentraler Ortslage der Gemeinde Sparbach im Bezirk Mödling . Durch die leichte Südhanglage erhält man einen herrlichen Weitblick und das ganze Jahr viel Sonnenlicht.

ECKDATEN GRUNDSTÜCK:

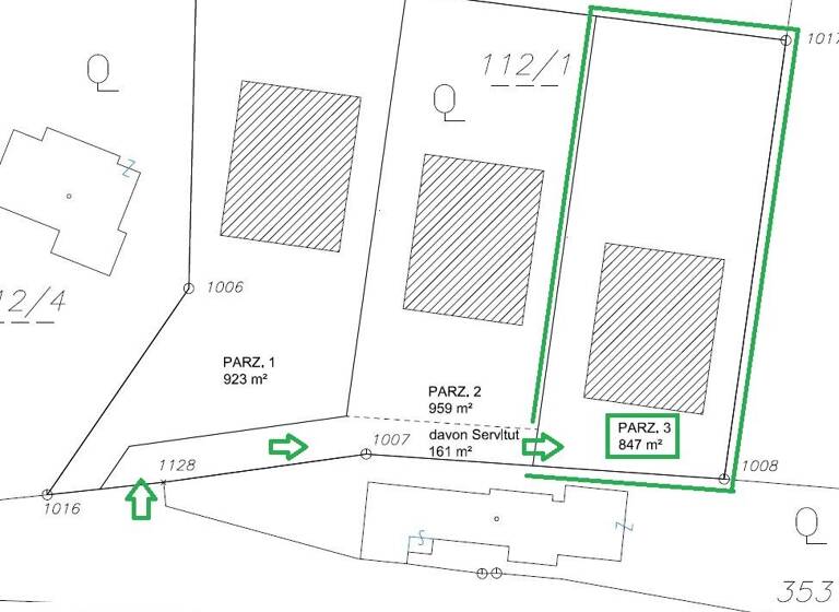
PARZELLE 3 / WEISSENBACHER STRASSE / 2393 SPARBACH:

?             Größe: 856m²

?             Ausrichtung: S

?             Bebaubarkeit: ca. 181 m²

?             Hanglage

?             Bauweise: O

?             Flächenwidmung: 20% 

 

Zum Verkauf stehen auch noch zwei weitere Grundstücke. In der folgenden Übersicht finden Sie die Eckdaten zu allen verfügbaren Einheiten:

Parzelle 1:        923 qm, Verkaufspreis: 440.000 EUR

Parzelle 2:       959 qm, Verkaufspreis:  435.000 EUR

Parzelle 3:       856 qm, Verkaufspreis:  395.000 EUR

 

LAGE & FREIZEITMÖGLICHKEITEN:

Die Gemeinde Sparbach grenzt an Weissenbach bei Mödling an. Mit der Busline 264 erreichen Sie den Bahnhof Mödling in ca. 20 Minuten. Die Auffahrt Hinterbrühl zur Außenringautobahn erreichen Sie in ca. zwei Fahrminuten. 

In näherer Umgebung befinden sich einige Freizeitmöglichkeiten wie dem Naturpark Sparbach, die Seegrotte Hinterbrühl, das Haubenlokal "Landgasthaus Stockerwirt", Wanderwege durch den Wienerwald sowie weitere Möglichkeiten.

 

Für Rückfragen, bzw. Vereinbarung eines Besichtigungstermins steht Ihnen der Objektbetreuer gerne zur Verfügung.

 

NEBENKOSTEN

Der guten Ordnung halber halten wir fest, dass, sofern im Angebot nicht anders vermerkt, bei erfolgreichem Abschlussfall eine Provision anfällt, die den in der Immobilienmaklerverordnung BGBI. 262 und 297/1996 festgelegten Sätzen entspricht - das sind 3 % des Kaufpreises zzgl. 20 % USt. Diese Provisionspflicht besteht auch dann, wenn Sie die Ihnen überlassenen Informationen an Dritte weitergeben. Es besteht ein wirtschaftliches Naheverhältnis zum Verkäufer.

Die Vertragserrichtung und Treuhandabwicklung ist gebunden an die Kanzlei Mag. Schreiber A-1010 Wien, Schottenring 16. Die Kosten betragen 1,5 % des Kaufpreises zzgl. 20 % USt. sowie Barauslagen und Beglaubigung. Bei Fremdfinanzierung erhöht sich das Honorar auf 1,8 % vom Kaufpreis zzgl. 20 % USt., Barauslagen und Beglaubigung.

Hinweis gemäß Energieausweisvorlagegesetz: Ein Energieausweis wurde vom Eigentümer bzw. Verkäufer, nach unserer Aufklärung über die generell geltende Vorlagepflicht, sowie Aufforderung zu seiner Erstellung noch nicht vorgelegt. Daher gilt zumindest eine dem Alter und der Art des Gebäudes entsprechende Gesamtenergieeffizienz als vereinbart. Wir übernehmen keinerlei Gewähr oder Haftung für die tatsächliche Energieeffizienz der angebotenen Immobilie.

Wir weisen darauf hin, dass zwischen dem Vermittler und dem zu vermittelnden Dritten ein familiäres oder wirtschaftliches Naheverhältnis besteht.

Der Vermittler ist als Doppelmakler tätig.

Infrastruktur / Entfernungen

Gesundheit
Arzt <2.075m
Apotheke <4.400m
Klinik <6.875m
Krankenhaus <5.175m

Kinder & Schulen
Schule <2.300m
Kindergarten <2.275m
Höhere Schule <5.150m
Universität <5.150m

Nahversorgung
Supermarkt <2.400m
Bäckerei <2.350m
Einkaufszentrum <7.800m

Sonstige
Bank <2.350m
Geldautomat <4.050m
Polizei <3.725m
Post <4.025m

Verkehr
Bus <100m
Straßenbahn <8.225m
Bahnhof <7.750m
Autobahnanschluss <350m

Angaben Entfernung Luftlinie / Quelle: OpenStreetMap

Merkmale

  • 856 m² Grundstück

Grundrisse

Grundrisse
1 / 2

Realisiere Dein Projekt

Bausubstanz und Energie

Der Anbieter hat keine Informationen zu Energieverbrauch oder Zustand der Immobilie bereit gestellt.
MediumRectangleTop

Preisdetails

Kaufpreis
395000 €
461,45 €/m²
Provision für Käufer
3% des Kaufpreises zzgl. 20% USt.

Lage

address-icon
Weissenbacher StraßeSparbach (2393)
Weissenbach / Hinterbrühl

Weitere Informationen

Stichworte Bundesland: Niederösterreich, Wohnungsnr.: Parzelle 3

Weitere Services

Lust auf eine Besichtigung?
Eine Frage zur Immobilie?
Nachricht hinzufügen
Mit der Nutzung der oben angegebenen Telefonnummer oder durch Klicken auf „Kontaktieren“ akzeptierst Du die Allgemeinen Nutzungsbedingungen, denen Du jederzeit widersprechen kannst. Weitere Informationen zum Datenschutz

Über den Anbieter

3SI Makler GmbH
3SI Makler GmbHMaklerbüro
Tegetthoffstraße 7, 1010 Wien
partner badge
3 Jahre Partnerschaft
Herr Georg Mels-ColloredoDein Kontakt
Online-ID: 2fexb5w
Referenznummer: OBGC2024090505204234662a4f5e61e
3SI Makler GmbH
3SI Makler GmbH
Bewertung: 2,6 von 5 Sternen
Nachricht hinzufügen
Mit der Nutzung der oben angegebenen Telefonnummer oder durch Klicken auf „Kontaktieren“ akzeptierst Du die Allgemeinen Nutzungsbedingungen, denen Du jederzeit widersprechen kannst. Weitere Informationen zum Datenschutz
MediumRectangleTop
MediumRectangleBottom
MediumRectangleTop
Wie zufrieden bist du mit dieser Seite (nicht mit der Immobilie selbst)?