Version: 8.24.0Navigation überspringen
149.000 €
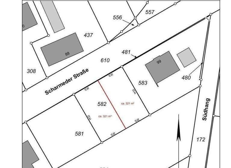
321 m² Grundstück
Immowelt logo

Grundstück zum Kauf
149000 €
464 €/m²
321 m² Grundstück

Zwei Grundstücke , ideal für eine DHH Stadtvilla

Das Grundstück:

Grundstücksnutzung: Wohnen

bebaubar nach §34 Nachbarbebauung

erschlossen

Kaufpreis 149000 € ( auf das Grundstück mit 321 m" )

Details

Objektbeschreibung

Doppelhaushälfte als Stadtvilla mit ca 120 m² Wohnfläche

Doppelt hält bekanntlich besser. Wie wäre es denn mit dieser schicken

Stadtvilla als Doppelhaus? Ob mit Putz oder einem von Ihnen

ausgewählten Verblender – dieses elegante Eigenheim bietet Platz für

gleich 2 Haushalte. Mit einer großzügigen Wohnfläche von rund 120 m²

und einem lichtdurchfluteten Wohnbereich lässt es sich wahrhaftig gut

leben. Unsere Doppelhäuser werden ausschließlich massiv gebaut und

versprechen einen zuverlässigen Schallschutz sowie eine lange

Wertebeständigkeit. Des Weiteren können Sie auf unsere 90-jährige

Erfahrung und die Zufriedenheit von tausenden von Bauherren vertrauen.

Bauen Sie auf und mit Heinz von Heiden. Die Abbildung zeigt eine

Ausstattungsvariante.

Heinz von Heiden baut das Doppelhaus Z554 sowohl mit Putzfassade als

auch mit Verblendern für Sie.

Die Abbildung zeigt eine Ausstattungsvariante.

Auf einem ca. 321 m² großen Grundstück planen wir, als Vertrieb von

Heinz von Heiden, die ca. 120 m² große DHH als Stadtvilla.

Ansprechpartner für dieses Projekt:

Frank Dittmann Mobil: 0157 38204424

Das Haus wird durch die Heinz von Heiden GmbH Massivhäuser

Chromstraße 12 30916 Isernhagen errichtet.

Das sind wir! Heinz von Heiden zählt zu den führenden Massivhaus-

Anbietern in Deutschland mit über 54.000 gebauten Häusern und über 90

Jahren Erfahrung. Unsere Mission ist es, maßgeschneiderte Häuser mit

optimalem Preis-Leistungs-Verhältnis zu realisieren. Dank ausgeklügelter

Wohnkonzepte und einem einzigartigen Logistikplan garantieren wir

höchste Qualität zu fairen Preisen, die finanzielle Stabilität und Sicherheit

beim Hausbau gewährleisten.

Wir bieten eine 15 Monate Festpreisgarantie, die Ihnen Planungssicherheit

und Schutz vor unerwarteten Kostensteigerungen gibt. Zudem können

unsere Kunden auf unseren umfassenden Bauherrenschutzbrief vertrauen,

der zusätzlichen Schutz und Sicherheit während des gesamten

Bauprozesses bietet. Als eines der wenigen Unternehmen sind wir stolz

darauf, dass uns Creditreform auch im Jahr 2025 mit dem CrefoZert für

ausgezeichnete Bonität zertifiziert hat.

Vertrauen Sie auf Heinz von Heiden für Ihren Weg ins Eigenheim und

profitieren Sie von unserer langjährigen Erfahrung und hervorragenden

Bonität.

Unsere Partner sorgen für sämtliche Ausstattung, die Sie sich für Ihr

Massivhaus wünschen – von Fliesenarbeiten über Sanitärobjekte,

elektrische Handtuchheizkörper, Wohntreppen, Dachfenster und mehr.

Hausanschlusskosten, Erdarbeiten, Baustrom & -wasser,

Grunderwerbssteuer, Notar-, Baugenehmigungs-, Vermessungsgebühren,

Außenanlagen, Garagen sowie Sonderausstattung und Maklergebühren

sofern nicht ausdrücklich im Exposé erwähnt, sind nicht im Preis

enthalten. Alle Informationen und Preise sind sorgfältig

zusammengestellt. Dennoch behalten wir uns Irrtümer vor. Sämtliche

Darstellungen zeigen Ausstattungsvarianten.

In einem Beratungsgespräch werde ich Ihnen alle Positionen

näher erläutern.

Stellen Sie uns gerne eine Anfrage. Wir freuen uns auf den Kontakt

Merkmale

  • 321 m² Grundstück
  • teilweise erschlossen

Grundrisse

Grundrisse
1 / 3

Realisiere Dein Projekt

Bausubstanz und Energie

Der Anbieter hat keine Informationen zu Energieverbrauch oder Zustand der Immobilie bereit gestellt.
Immowelt logo

Preisdetails

Kaufpreis
149000 €
464,17 €/m²
Provision für Käufer
5,95% inkl. 19% MwSt. auf das Grundstück ( je 149.000 Euro ) wird vom
vom Käufer gezahlt
Geschätzte Gesamtkosten
157.866 €1
Kaufpreis
149.000 €
Provision für Käufer (5,95%)
8.866 €
1Der angezeigte Wert ist eine automatisch berechnete Schätzung von immowelt.
2Bei den Angaben handelt es sich um ortsübliche Werte. Individuelle Kosten können abweichen.

Lage

address-icon
Scharmeder Straße 105ElsenPaderborn (33106)
Lage

Die Scharmeder Straße befindet sich im Paderborner Stadtteil Elsen und

verläuft in Richtung des benachbarten Ortes Scharmede. Als Teil der

Kreisstraße 32 verbindet sie diese beiden Orte miteinander.

Elsen ist ein westlicher Stadtteil von Paderborn, der durch eine gut

entwickelte Infrastruktur sowie eine Mischung aus Wohn- und

Gewerbegebieten geprägt ist. Die Umgebung der Scharmeder Straße

bietet eine ruhige Wohnlage mit einer Vielzahl von Einfamilienhäusern,

Grünflächen und landwirtschaftlichen Flächen. Die Nähe zu Scharmede

ermöglicht zudem einen schnellen Zugang zu weiteren ländlichen

Gebieten und Naherholungsräumen.

Durch die Anbindung an die Kreisstraße 32 sind sowohl das Paderborner

Stadtzentrum als auch umliegende Ortschaften gut erreichbar, was die

Scharmeder Straße zu einer attraktiven Wohngegend für Pendler macht.

Die Kombination aus städtischer Nähe und ländlicher Idylle zeichnet die

Lage an der Scharmeder Straße besonders aus.

Weitere Services

Lust auf eine Besichtigung?
Eine Frage zur Immobilie?
Nachricht hinzufügen
Mit der Nutzung der oben angegebenen Telefonnummer oder durch Klicken auf „Kontaktieren“ akzeptierst Du die Allgemeinen Nutzungsbedingungen, denen Du jederzeit widersprechen kannst. Weitere Informationen zum Datenschutz

Über den Anbieter

Frank DittmannMaklerbüro
Köln Berliner Str. 111, 44287 Dortmund
partner badge
Partnerschaft
Frank DittmannDein Kontakt
Online-ID: 2mp5e5u
Frank Dittmann
Nachricht hinzufügen
Mit der Nutzung der oben angegebenen Telefonnummer oder durch Klicken auf „Kontaktieren“ akzeptierst Du die Allgemeinen Nutzungsbedingungen, denen Du jederzeit widersprechen kannst. Weitere Informationen zum Datenschutz
Wie zufrieden bist du mit dieser Seite (nicht mit der Immobilie selbst)?