Version: 8.25.1Navigation überspringen
199.000 €
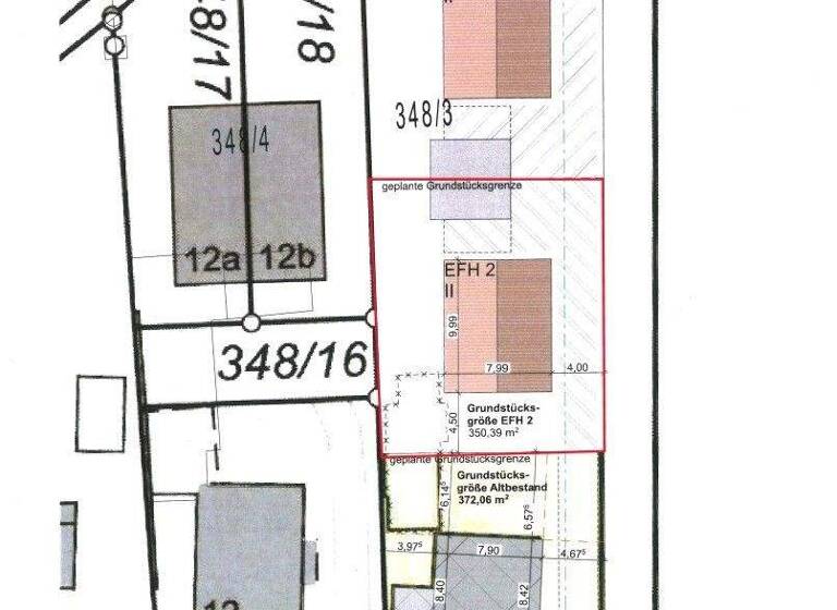
350,4 m² Grundstück
Immowelt logo

Grundstück zum Kauf
199000 €
568 €/m²
350,4 m² Grundstück

Edling - Baugrundstück mit großem Potenzial

In ruhiger und gewachsener Wohnlage von Edling befindet sich dieses charmante kleine Grundstück für die Bebauung mit einem Einfamilienhaus. Die Umgebung ist geprägt von gepflegten Wohnhäusern und viel Grün - hier genießen Sie ein harmonisches Wohnumfeld mit ländlichem Flair und gleichzeitig kurzer Anbindung an die Stadt Wasserburg am Inn.

Das Grundstück überzeugt durch seine überschaubare Größe, die Ihnen eine kosteneffiziente Bebauung ermöglicht, ohne auf Freiraum zu verzichten. Ob als Zuhause für eine kleine Familie, für Paare oder als Altersruhesitz, hier lässt sich ein individuelles Wohnkonzept realisieren.

Merkmale

  • 350,4 m² Grundstück

Grundrisse

Grundrisse
1 / 1

Realisiere Dein Projekt

Bausubstanz und Energie

Möchtest du Details zum Energieverbrauch?info_energy_calculation-icon
Immowelt logo

Preisdetails

Kaufpreis
199000 €
567,94 €/m²
Provision für Käufer
Bitte beachte, das Angebot kann bei Vertragsabschluss die Zahlung einer Provision beinhalten. Weitere Informationen erhältst Du vom Anbieter.
Geschätzte Gesamtkosten
199.000 €1
Kaufpreis
199.000 €
1Der angezeigte Wert ist eine automatisch berechnete Schätzung von immowelt.

Lage

address-icon
Edling (83533)
Der Anbieter hat die genaue Adresse nicht freigegeben
Das Grundstück befindet sich in ruhiger und sonniger Lage in Edling, nur wenige Minuten von Wasserburg am Inn entfernt. Die Umgebung ist geprägt von gepflegten Wohnhäusern und viel Grün - ideal für alle, die ein naturnahes und dennoch gut angebundenes Zuhause suchen.

Edling bietet eine hervorragende Infrastruktur mit Einkaufsmöglichkeiten, Kindergarten, Schule, Ärzten und einem eigenen Bahnhof mit Verbindung nach Wasserburg und München. Die Nähe zu Rosenheim und die gute Erreichbarkeit über die B304 machen den Standort besonders attraktiv.

Die reizvolle Landschaft rund um Edling lädt zu Spaziergängen, Radtouren und Erholung im Grünen ein. Hier verbinden sich ländliche Ruhe und zentrale Lage zu einem perfekten Ort zum Leben und Wohlfühlen.

Weitere Informationen

Kontaktdaten Bitte sprechen Sie uns an und vereinbaren Sie einen Beratungs- und/oder Besichtigungstermin mit Ihrem persönlichen Immobilienberater. Ihr Ansprechpartner ist:
Herr Günter Rappold
Tel: 08081-939014
Mobil: 0170-4347035 Sonstiges Für das Grundstück liegt bereits eine Baugenehmigung für ein Einfamilienhaus vor, welches auch zwingend gem. der Planung erstellt werden muss.
Eine Erschließung nach Baugesetzbuch ist erfolgt.

Weitere Services

Lust auf eine Besichtigung?
Eine Frage zur Immobilie?
Nachricht hinzufügen
Mit der Nutzung der oben angegebenen Telefonnummer oder durch Klicken auf „Kontaktieren“ akzeptierst Du die Allgemeinen Nutzungsbedingungen, denen Du jederzeit widersprechen kannst. Weitere Informationen zum Datenschutz

Über den Anbieter

Alte Ziegelei 2, 84405 Dorfen
partner badge
10 Jahre Partnerschaft
Herr Günter Rappold
Herr Günter RappoldDein Kontakt
Online-ID: 25ZE5KAPXCER
Referenznummer: +G3969
Robert Decker Immobilien GmbH
title
Robert Decker Immobilien GmbH
Bewertung: 3,8 von 5 Sternen
Nachricht hinzufügen
Mit der Nutzung der oben angegebenen Telefonnummer oder durch Klicken auf „Kontaktieren“ akzeptierst Du die Allgemeinen Nutzungsbedingungen, denen Du jederzeit widersprechen kannst. Weitere Informationen zum Datenschutz
Wie zufrieden bist du mit dieser Seite (nicht mit der Immobilie selbst)?