
HIB Hanseatische Immobilien- u. Baubetreuungsgesellschaft
Herr Matthias Ulka
041 ···
Nr. anzeigenPreise & Kosten
Provision für Käufer
3,57% inkl. Mehrwertsteuer
Lage
Das Grundstück liegt in einer lebendigen und zugleich idyllischen Gemeinde im Kreis Segeberg mit rund 3.000 Einwohnern. Trotz der Nähe zu Quickborn, Norderstedt und Hamburg hat sich der Ort seinen ländlichen Charme bewahrt. Weite Wiesen und Felder prägen das Bild - hier wohnt man ruhig und naturnah, ohne auf eine gute...
Die Immobilie
Zu diesem Angebot wurden vom Anbieter keine weiteren Daten hinterlegt. Für weitere Informationen bitte den Anbieter kontaktieren.
Nach Informationen fragenDetails
Objektbeschreibung
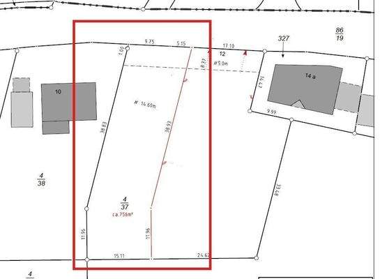
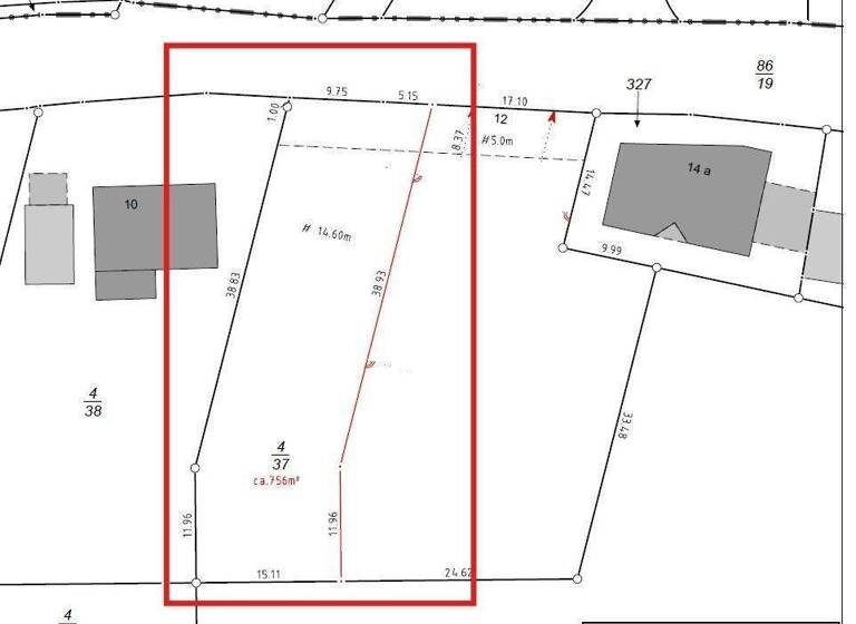
Zum Verkauf steht ein attraktives Baugrundstück mit einer Fläche von ca. 756 m² im Zentrum von Alveslohe. Durch seine zentrale, aber dennoch ruhige Lage bietet es ideale Voraussetzungen für die Realisierung eines individuellen Wohnhauses. Eine positive Bauvoranfrage liegt vor!
Die Bebauung richtet sich nach § 34 BauGB...
Weitere Informationen
Sonstiges
Das Grundstück wird ohne Baubindung angeboten.
Besuchen Sie uns auch gerne in unserem Musterhaus in Halstenbek, Poststraße 9, 25469 Halstenbek! Hier stehen wir Ihnen für ein unverbindliches Beratungsgespräch und zur Ermittlung der Gesamtkosten für Ihr individuell geplantes Traumhaus (auf Wunsch mit...
Online-ID: 2ldk65t
Referenznummer: 56 (1/56)
Finde Angebote wie dieses
Hier geht es zu unserem Impressum, den Allgemeinen Geschäftsbedingungen, den Hinweisen zum Datenschutz und nutzungsbasierter Online-Werbung.