Version: 8.26.0Navigation überspringen
ohne-makler.net - Immobilien selbst vermarkten
200.000 €
500 m² Grundstück

Grundstück zum Kauf • provisionsfrei
200000 €
400 €/m²
500 m² Grundstück

Bauplatz,Baugrund erschlossen,4 Bauplätze,Schulzendorf im Speckgürtel von Berlin

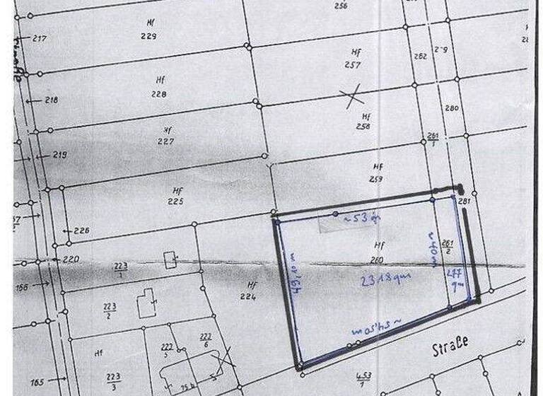
2318 qm Baugrund mitten im Wohngebiet, Eckgrundstück Nr.:260 ,
mit 4 Häusern bebaubar, das Gesamtgrundstück ist erschlossen,
siehe mögliche Aufteilungen des Grundstückes: 4 Einzelhäuser ,
400 € / qm

Merkmale

  • Bezug: nach Absprache
  • 500 m² Grundstück
  • voll erschlossen

Grundrisse

Grundrisse
1 / 3
MediumRectangleTop

Preisdetails

Kaufpreis
200000 €
400 €/m²
Provision für Käufer
provisionsfrei; keine Provision, courtagefrei
Geschätzte Gesamtkosten
200.000 €1
Kaufpreis
200.000 €
1Der angezeigte Wert ist eine automatisch berechnete Schätzung von immowelt.

Lage

address-icon
Otto-Krien-Strasse/Ecke Miersdorfer-StrasseSchulzendorf / Dahme-Spreewald (15732)
ruhige Lage, 2 km zum Rathaus Schulzendorf
im Speckgürtel von Berlin
von Schönefeld mit der S-Bahn 40 Minuten bis Berlin Stadtmitte
30 Minuten mit dem öffentlichen Bus zum Flugplatz oder 17 Minuten mit dem Auto ohne Stau
Naherholung mit dem Auto in 8 Minuten oder zu Fuß in 40 Minuten zum Zeuthener See
Infrastruktur (im Umkreis von 5 km):
Apotheke, Lebensmittel-Discount, Allgemeinmediziner, Kindergarten, Grundschule, Öffentliche Verkehrsmittel

Weitere Informationen

Sonstiges Makleranfragen nicht erwünscht. Nach § 7 UWG sind unaufgeforderte Kontaktaufnahmen durch Makler ohne ausdrückliche Einwilligung des Empfängers verboten!

ohne-makler (OM) ist weder Anbieter noch Vermittler der Immobilie. OM betreibt eine Plattform für Immobilieneigentümer, die unter anderem die gleichzeitige Veröffentlichung einzelner Inserate auf mehreren Immobilienportalen ermöglicht. Die Inhalte dieser Inserate werden ausschließlich von Dritten verantwortet. Für die Richtigkeit, Vollständigkeit oder Rechtmäßigkeit der Angaben übernimmt OM keine Haftung. Hinweise auf mögliche Rechtsverstöße können jederzeit gemeldet werden und werden nach Prüfung umgehend bearbeitet. Stichworte Bundesland: Brandenburg

Weitere Services

Lust auf eine Besichtigung?
Eine Frage zur Immobilie?
Nachricht hinzufügen
Mit der Nutzung der oben angegebenen Telefonnummer oder durch Klicken auf „Kontaktieren“ akzeptierst Du die Allgemeinen Nutzungsbedingungen, denen Du jederzeit widersprechen kannst. Weitere Informationen zum Datenschutz

Über den Anbieter

Humboldtstr. 25 A, 21509 Glinde
partner badge
Partnerschaft
Privat von KrehnDein Kontakt
Online-ID: 26LQGKGVRVQJ
Referenznummer: 278863
MediumRectangleTop
Wie zufrieden bist du mit dieser Seite (nicht mit der Immobilie selbst)?