

Immobilienservice König GmbH
Herr Markus König
017 ···
Nr. anzeigenPreise & Kosten
Provision für Käufer
2,975 % incl. Gesetzlicher MwSt.
Lage
Da wohnen, wo andere Urlaub machen !
Das Ostseebad Boltenhagen, zweitältestes Seebad Mecklenburgs, bietet seinen Bewohnern und Gästen mit einer einmalig schöne Landschaft, einem abwechslungsreichen Küstenverlauf und einem urwüchsiges Hinterland mit einer intakten Natur alles, was man sich für seinen Lebensmitttelpunkt...
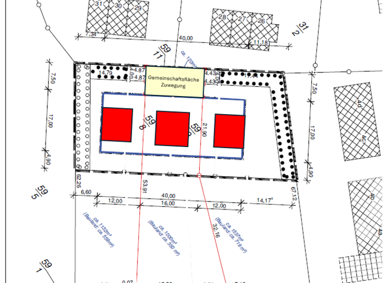
Das Grundstück
Details
Objektbeschreibung
Das Eck-Baugrundstück umfasst nach Neuvermessung eine Fläche von ca 900-1.000 m². Das Baufenster bietet die Möglichkeit der Bebauung mit einem freistehenden Wohnhaus.
Die Verkehrsanbindung erfolgt über die Straße am Mühlenblick - durch eine Grunddienstbarkeit ist die Zuwegung sowie das Leitungsrecht vertraglich...
Weitere Informationen
Sonstiges
Alle Angaben sind ohne Gewähr und beruhen auf Informationen des Auftraggebers.
Der Immobilienservice König GmbH übernimmt keine Haftung für deren Vollständigkeit, Flächenangaben, Richtigkeit und Aktualität.
Das Angebot ist freibleibend - einen Zwischenverkauf behält sich der Eigentümer ausdrücklich...
Dokumente
Anbieter der Immobilie
Immobilienservice König GmbH
An den Wiesen 14, 23946 Ostseebad Boltenhagen

Online-ID: 2jf735f
Finde Angebote wie dieses
Hier geht es zu unserem Impressum, den Allgemeinen Geschäftsbedingungen, den Hinweisen zum Datenschutz und nutzungsbasierter Online-Werbung.