
Keine Bilder verfügbar
Kontaktiere den Anbieter, um Bilder dieser Immobilie zu erhalten.


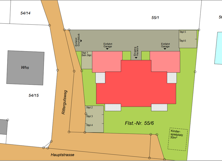
Grundstück zum Kauf • provisionsfrei98000 €100 €/m²979 m² Grundstück • Baugenehmigung vorhanden
98000 €
100 €/m²
979 m² Grundstück • Baugenehmigung vorhanden
Grundstück mit Baugenehmigung für ein Mehrfamilienhaus zu verkaufen
Merkmale
- 979 m² Grundstück
Grundrisse
Grundrisse
1 / 2
Realisiere Dein Projekt
Bausubstanz und Energie
Möchtest du Details zum Energieverbrauch?

Preisdetails
Kaufpreis
98000 €
100,10 €/m²
Provision für Käufer
provisionsfrei
Geschätzte Gesamtkosten
98.000 €1
Kaufpreis
98.000 €
1Der angezeigte Wert ist eine automatisch berechnete Schätzung von immowelt.
Lage

Leukersdorf, Jahnsdorf/Erzgeb. (09387)
Der Anbieter hat die genaue Adresse nicht freigegeben
Weitere Services
Lust auf eine Besichtigung?
Eine Frage zur Immobilie?
Über den Anbieter
Hinterer Giersbühlweg 2, 79859 Schluchsee
10 Jahre Partnerschaft
Frau A. StaubDein Kontakt
Online-ID: 25VP8UQMSS9F

Staub Immobilien
Bewertung: 3,6 von 5 Sternen
Wie zufrieden bist du mit dieser Seite (nicht mit der Immobilie selbst)?
