Version: 8.26.0Navigation überspringen
49.900 €
1.080 m² Grundstück
Immowelt logo

Grundstück zum Kauf
49900 €
46,20 €/m²
1.080 m² Grundstück

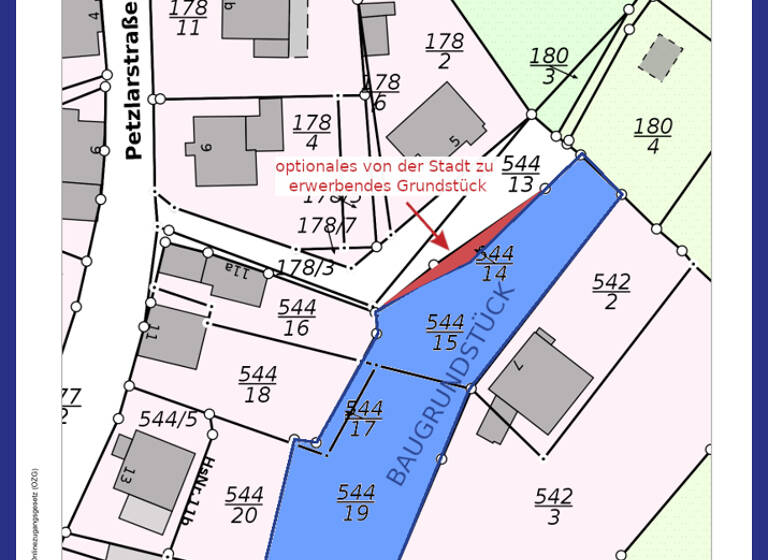
Baugrundstück in Orlamünde - positiver Vorbescheid

Willkommen in Orlamünde - Ihrer neuen Heimat!

Zum Kauf steht ein attraktives Grundstück, ideal für Wohnzwecke, in der charmanten Gemeinde Orlamünde. Diese einmalige Gelegenheit bietet Ihnen die Möglichkeit, Ihr Traumhaus nach eigenen Wünschen und Vorstellungen zu gestalten. Ein bewilligter Bauvorentscheid für ein zweistöckiges Einfamilienhaus liegt bereits als Nachweis der Bebauungserlaubnis vor.

Das Grundstück ist ab sofort verfügbar und besticht... Weitere Informationen erhalten sie nach dem Herunterladen des Exposés.

Kontaktieren Sie uns noch heute und erfahren Sie mehr über dieses Angebot!

Merkmale

  • Bezug: ab sofort
  • 1.080 m² Grundstück
  • bebaubar nach §34 Nachbarbebauung
  • teilweise erschlossen
- positiver Bauvorbescheid

- Baugrundgutachten vorhanden

- Projektierung vorliegend

Grundrisse

Grundrisse
1 / 1
Immowelt logo

Preisdetails

Kaufpreis
49900 €
46,20 €/m²
Provision für Käufer
2.380,00 € inkl. Mwst. inkl. MwSt.
Geschätzte Gesamtkosten
49.900 €1
Kaufpreis
49.900 €
1Der angezeigte Wert ist eine automatisch berechnete Schätzung von immowelt.

Lage

address-icon
Orlamünde (07768)
Der Anbieter hat die genaue Adresse nicht freigegeben
Orlamünde ist eine charmante Stadt mit einer reichen historischen Vergangenheit und bietet eine hohe Lebensqualität in einer ruhigen und naturnahen Umgebung. Diese Lage verbindet die Vorteile städtischer Annehmlichkeiten mit der Idylle des ländlichen Lebens, was sie zu einem idealen Ort für den Bau eines neuen, behaglichen Zuhauses macht.

Weitere Informationen

Sonstiges Weitere Informationen und Angebote finden Sie unter www.rd-immokonzept.de Stichworte Distanz zum Kindergarten: 1.70, Distanz zur Grundschule: 0.28, Distanz zur Realschule: 7.10, Distanz zum Gymnasium: 7.10, Distanz zur Autobahn: 27.50, Distanz vom Zentrum: 0.24

Weitere Services

Lust auf eine Besichtigung?
Eine Frage zur Immobilie?
Nachricht hinzufügen
Mit der Nutzung der oben angegebenen Telefonnummer oder durch Klicken auf „Kontaktieren“ akzeptierst Du die Allgemeinen Nutzungsbedingungen, denen Du jederzeit widersprechen kannst. Weitere Informationen zum Datenschutz

Über den Anbieter

Weigelstr. 2, 07743 Jena
partner badge
10 Jahre Partnerschaft
Herr Peter Döpel
Herr Peter DöpelDein Kontakt
Online-ID: 24WKI5LDVD26
Referenznummer: 1019
Wie zufrieden bist du mit dieser Seite (nicht mit der Immobilie selbst)?