Version: 8.23.0Navigation überspringen
270.000 €
691 m² Grundstück
Immowelt logo

Grundstück zum Kauf
270000 €
391 €/m²
691 m² Grundstück

Kühlungsborn: Traumgrundstück! Nur 1.100?m bis zum Ostseestrand

Baugrundstück in zweiter Reihe - attraktive Lage in Kühlungsborn West

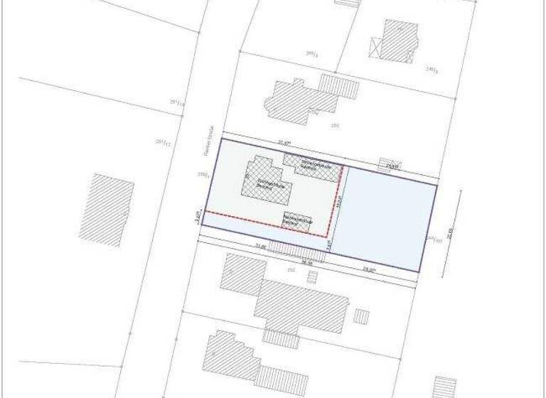
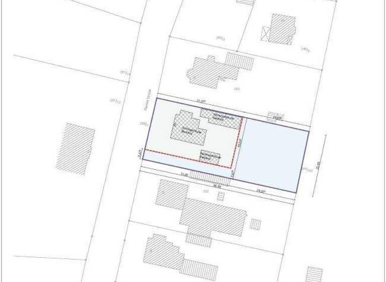
In begehrter Wohnlage von Kühlungsborn West befindet sich dieses attraktive Baugrundstück mit einer Fläche von ca. 691 m². Es liegt in zweiter Reihe und bietet eine ideale Grundlage für die Errichtung eines privaten Wohnhauses. Der feinsandige Ostseestrand ist lediglich rund 1.100 Meter entfernt.

Die Zuwegung zum Grundstück erfolgt über die eigene, im Grundbuch enthaltene Zufahrt. Das Grundstück ist nahezu rechteckig geschnitten, eben gelegen und in einem gepflegten Zustand. Die Umgebung ist geprägt von einer gewachsenen Wohnstruktur mit guter Anbindung an Infrastruktur und Freizeitangebote.

Der Bebauungsrahmen richtet sich nach § 34 BauGB - die mögliche Neubebauung orientiert sich an der Umgebungsbebauung. Damit bestehen sehr gute Voraussetzungen für den Bau eines Einfamilienhauses oder ggf. eines Doppelhauses nach Absprache mit der zuständigen Baubehörde.

Besonderheiten:

Ca. 691 m² großes Grundstück

Eigenständige Zuwegung

Nur ca. 1.100 Meter bis zum Ostseestrand

Etabliertes Wohnumfeld mit guter Infrastruktur

Vielfältige Bebauungsmöglichkeiten gemäß § 34 BauGB

Dieses Grundstück bietet eine seltene Gelegenheit, in einem der beliebtesten Ostseebäder Deutschlands ein individuelles Wohnprojekt zu verwirklichen.

Merkmale

  • Bezug: sofort
  • 691 m² Grundstück
  • Einbauküche
  • Kelleranteil
  • Garage
  • Badezimmer: Bad mit Dusche, Bad mit Fenster
Grundstücksgröße: ca. 691m² (Baugrundstück in zweiter Reihe)

Zuwegung: Direkte eigene Zufahrt

Bebaubarkeit: Nach § 34 BauGB - orientiert sich an der Umgebungsbebauung

Besonderheiten: Rechteckiger Zuschnitt, ebener Grundstücksverlauf

Lage: Ca. 1.100 Meter vom Ostseestrand entfernt, im beliebten Kühlungsborn West

Nutzungspotenzial:
Dieses Grundstück eignet sich hervorragend für den Bau eines Einfamilienhauses oder ggf. Doppelhauses. Es bietet eine attraktive Gelegenheit für private Bauherren, Kapitalanleger oder Familien, die sich den Traum vom Eigenheim in Strandnähe erfüllen möchten.

Grundrisse

Grundrisse
1 / 2

Realisiere Dein Projekt

Bausubstanz und Energie

Der Anbieter hat keine Informationen zum Energieverbrauch bereit gestellt.
  • Zustand der ImmobilieAltbau (bis 1945), Massivhaus, Gepflegt
Immowelt logo

Preisdetails

Kaufpreis
270000 €
390,74 €/m²
Provision für Käufer
2,97 inkl. MwSt.
Weitere Preisinformationen
1 Garagenstellplatz
Geschätzte Gesamtkosten
270.000 €1
Kaufpreis
270.000 €
1Der angezeigte Wert ist eine automatisch berechnete Schätzung von immowelt.

Lage

address-icon
Kühlungsborn (18225)
Der Anbieter hat die genaue Adresse nicht freigegeben
Die Reriker Straße in Kühlungsborn West verbindet die Vorzüge eines der schönsten Küstenorte Deutschlands mit einer idealen Wohnlage. Nur 1.100 Meter trennen Sie vom feinsandigen Ostseestrand, der zu entspannten Spaziergängen, Badeausflügen und herrlichen Sonnenuntergängen einlädt.

Die Umgebung bietet ein ruhiges und familienfreundliches Wohnumfeld. Einkaufsmöglichkeiten wie Supermärkte, Bäckereien und kleine Geschäfte für den täglichen Bedarf sind bequem zu Fuß erreichbar. Zusätzlich laden gemütliche Cafés und Restaurants in Kühlungsborn West dazu ein, die kulinarische Vielfalt der Region zu genießen.

Freizeitliebhaber kommen hier voll auf ihre Kosten: Die nahegelegene Strandpromenade - mit einer Länge von 3.150 Metern eine der längsten Deutschlands - endet direkt in Kühlungsborn West und lädt zu ausgedehnten Spaziergängen entlang der Ostsee ein. Naturliebhaber finden im 133 Hektar großen Stadtwald perfekte Bedingungen für Wanderungen, Joggingrunden oder ein Picknick im Grünen.

Ein besonderes Highlight ist der historische Bahnhof Kühlungsborn West, die Endstation der nostalgischen Bäderbahn "Molli". Seit 1886 verkehrt die Dampflok entlang der Ostseeküste und verbindet Kühlungsborn auf charmante Weise mit Bad Doberan.

Die Lage ist außerdem hervorragend angebunden: Über die Landesstraßen L11 und L12 erreichen Sie Kühlungsborn bequem mit dem Auto. Diese perfekte Kombination aus Strandnähe, Freizeitmöglichkeiten und guter Infrastruktur macht die Reriker Straße in Kühlungsborn West zu einem idealen Ort für ein komfortables Leben an der Ostsee.

Weitere Informationen

Sonstiges Weitere Informationen und Besichtigungen auf Anfrage!

Wir stehen Ihnen gerne zur Verfügung, um Ihnen weitere Informationen, Fotos und Unterlagen bereitzustellen. Bitte beachten Sie, dass ein Zwischenverkauf bis zum Abschluss des Notarvertrags jederzeit möglich ist. Zum Schutz der Verkäufer können wir leider keine unvollständigen oder anonymen Anfragen bearbeiten.

Für eine Interessenbekundung bitten wir Sie daher, uns Ihre vollständigen Kontaktdaten zu übermitteln: Name, Vorname, Telefonnummer, Straße, Hausnummer, Postleitzahl und Ort.

Die perspektivischen Grundrissdarstellungen dienen lediglich einem besseren räumlichen Verständnis und sind nicht als technische Zeichnungen zu interpretieren.

Entdecken Sie unsere Immobilienangebote stets zuerst auf unserer Webseite:
www.seaside-immobilien.com Stichworte Garage vorhanden, Rolladen, Bundesland: Mecklenburg-Vorpommern

Weitere Services

Lust auf eine Besichtigung?
Eine Frage zur Immobilie?
Nachricht hinzufügen
Mit der Nutzung der oben angegebenen Telefonnummer oder durch Klicken auf „Kontaktieren“ akzeptierst Du die Allgemeinen Nutzungsbedingungen, denen Du jederzeit widersprechen kannst. Weitere Informationen zum Datenschutz

Über den Anbieter

Mollistraße 16, 18209 Bad Doberan
partner badge
Partnerschaft
Herr Thomas Böhm
Herr Thomas BöhmDein Kontakt
Online-ID: 2nl9a53
Referenznummer: 226759
SEASIDE - Immobilien Inh. Thomas Böhm
title
SEASIDE - Immobilien Inh. Thomas Böhm
Nachricht hinzufügen
Mit der Nutzung der oben angegebenen Telefonnummer oder durch Klicken auf „Kontaktieren“ akzeptierst Du die Allgemeinen Nutzungsbedingungen, denen Du jederzeit widersprechen kannst. Weitere Informationen zum Datenschutz
Wie zufrieden bist du mit dieser Seite (nicht mit der Immobilie selbst)?